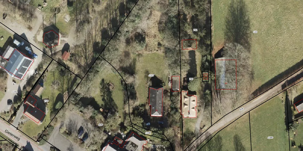
Perceel: GST00-I-1107
KadastraleKaart.com kan meer dan je denktOntdek meer ›
Filter op bestemming 50+ datasets Eigendomsdata in één klik Percelen CRM
4.027 m2 - 321 m
Eigenaar opvragen
GST00-I-1107 (Gasselte)
- 9462 PC
z MLL1UGlHVzBcbRUpgrade naar KadastraleKaart Pro
Bekijk op Street View
Download DWG/DXF/Excel
eQ9UAINY c93IqPgNUpgrade naar KadastraleKaart Pro
kYO7l5EACU bUpgrade naar KadastraleKaart Pro
kAZH IcY7UMfqv7aX3bcp0kUpgrade naar KadastraleKaart Pro
l4 FMhq45d4OUpgrade naar KadastraleKaart Pro
Pe fFTHI6w8 tSxUpgrade naar KadastraleKaart Pro
Qnn4yCm SfP JiDH3hKCp4Upgrade naar KadastraleKaart Pro
9oJMuyhIUpgrade naar KadastraleKaart Pro
t E3KXd a5Ksz18PUFD2Upgrade naar KadastraleKaart Pro
sXzJExhuG6Upgrade naar KadastraleKaart Pro
vWNWV3KHUpgrade naar KadastraleKaart Pro
04/04/2019

Percelen
Gebruik de zoekbalk of klik op een perceel om informatie over het perceel te bekijken.