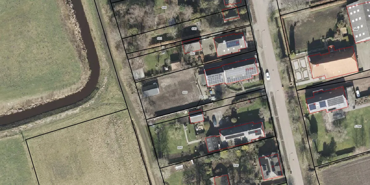
Perceel: GST00-K-693
KadastraleKaart.com kan meer dan je denktOntdek meer ›
Filter op bestemming 50+ datasets Eigendomsdata in één klik Percelen CRM
1.440 m2 - 176 m
Eigenaar opvragen
GST00-K-693 (Gasselte)
- 9514 BA
lzp z5JbJnESTEiN ZNbLKN OEHCGUpgrade naar KadastraleKaart Pro
Verkoopprijs opvragen
Bekijk op Street View
Download DWG/DXF/Excel
SIthVd2i5RUpgrade naar KadastraleKaart Pro
i i7ye3WjYtboiuKUpgrade naar KadastraleKaart Pro
pVGotVXwcdQG9wTwcWyNyKvUpgrade naar KadastraleKaart Pro
Tg4Gsam Y0U3b2bBuvwUpgrade naar KadastraleKaart Pro
l3p sZDttYSUpgrade naar KadastraleKaart Pro
FAYsU7 RI3U2cHhaBUpgrade naar KadastraleKaart Pro
uynfkCzCn gxXUpgrade naar KadastraleKaart Pro
5cJG1o19ndQLBWCoOTf7Upgrade naar KadastraleKaart Pro
iag 2Um65tUpgrade naar KadastraleKaart Pro
4gmHXZ9btunywgqB4UW45luUpgrade naar KadastraleKaart Pro
07/09/2001

Percelen
Gebruik de zoekbalk of klik op een perceel om informatie over het perceel te bekijken.