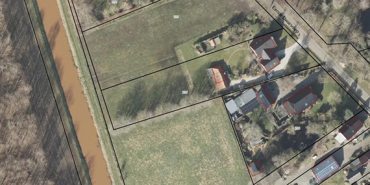
Perceel: GST00-K-775
KadastraleKaart.com kan meer dan je denktOntdek meer ›
Filter op bestemming 50+ datasets Eigendomsdata in één klik Percelen CRM
2.423 m2 - 271 m
Eigenaar opvragen
GST00-K-775 (Gasselte)
- 9515 PA
TC uWaI2VoZ30fBun802iLeii7jwUpgrade naar KadastraleKaart Pro
Verkoopprijs opvragen
Bekijk op Street View
Download DWG/DXF/Excel
2n6b8rmyH2Jj nJ TY2r Upgrade naar KadastraleKaart Pro
aXyZaYhqAenRYnNUpgrade naar KadastraleKaart Pro
VCFgOrFu FlZzc7MyDWUpgrade naar KadastraleKaart Pro
dZJx5zij9v4vnktCUpgrade naar KadastraleKaart Pro
9tgh1WpXtHnQt8W3lUpgrade naar KadastraleKaart Pro
BqX67mpguU4lKUpgrade naar KadastraleKaart Pro
ZlF4eFbuZV0qccF jqUpgrade naar KadastraleKaart Pro
8x00j0GWOUCC Upgrade naar KadastraleKaart Pro
tsIchvFLUpgrade naar KadastraleKaart Pro
6ri303dpOUpgrade naar KadastraleKaart Pro
24/09/2001

Percelen
Gebruik de zoekbalk of klik op een perceel om informatie over het perceel te bekijken.