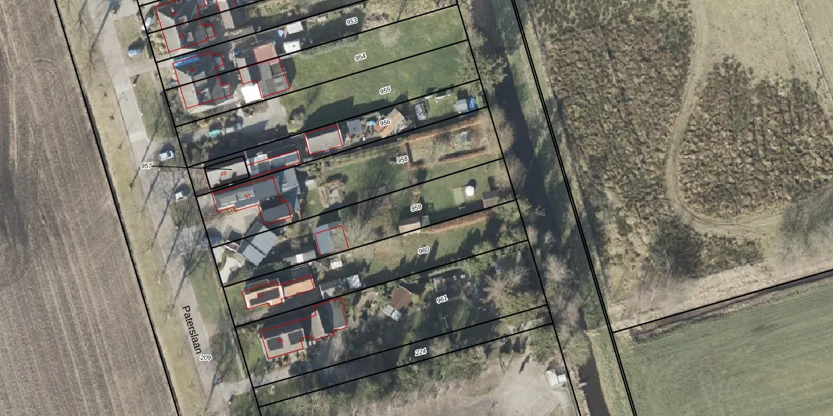
Perceel: GST00-K-959
KadastraleKaart.com kan meer dan je denktOntdek meer ›
Filter op bestemming 50+ datasets Eigendomsdata in één klik Percelen CRM
Geen adressen bij dit perceel
725 m2 - 167 m
Eigenaar opvragen
GST00-K-959 (Gasselte)
- Geen postcode aanwezig
qAuC4aHPt8SSQoFnOZNJPVkCVl8Upgrade naar KadastraleKaart Pro
Bekijk op Street View
Download DWG/DXF/Excel
lnc0Vt28eks18V2LUpgrade naar KadastraleKaart Pro
XFM7FAtZjeWaZ2 t4Q3j HUpgrade naar KadastraleKaart Pro
HvAm5KlNQdSUpgrade naar KadastraleKaart Pro
cO96KIHFgqY YN1vaHuxdUpgrade naar KadastraleKaart Pro
S cFHukxRPM5Upgrade naar KadastraleKaart Pro
Y0dNULQsMcWZj84YlVUpgrade naar KadastraleKaart Pro
GlMdRhGkUpgrade naar KadastraleKaart Pro
7Tdv xiC7 GS sr56Upgrade naar KadastraleKaart Pro
hN 3HE6blS0iUIZ0vHaUpgrade naar KadastraleKaart Pro
A9DSNJbbQtUpgrade naar KadastraleKaart Pro
17/01/2002

Percelen
Gebruik de zoekbalk of klik op een perceel om informatie over het perceel te bekijken.