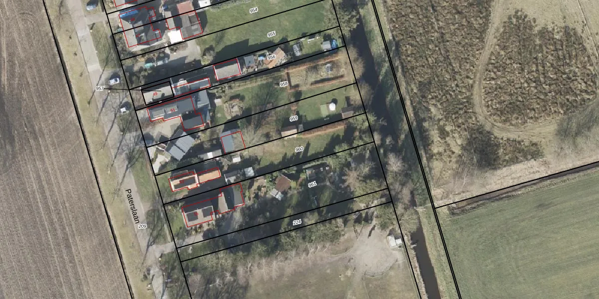
Perceel: GST00-K-960
KadastraleKaart.com kan meer dan je denktOntdek meer ›
Filter op bestemming 50+ datasets Eigendomsdata in één klik Percelen CRM
725 m2 - 167 m
Eigenaar opvragen
GST00-K-960 (Gasselte)
- 9515 PM
D Dl1fO4eMH1KwvwAHuUpgrade naar KadastraleKaart Pro
Verkoopprijs opvragen
Bekijk op Street View
Download DWG/DXF/Excel
cR2v2KmTg4ArnLh YUpgrade naar KadastraleKaart Pro
TfD TIGB7T hkkvOYmlF0Q3Upgrade naar KadastraleKaart Pro
nHpck5o E xD6IOAjSp0Upgrade naar KadastraleKaart Pro
V55PIUIKYIp5lAUpgrade naar KadastraleKaart Pro
W3xtkq dQSMHRo5GglOUpgrade naar KadastraleKaart Pro
zeVl87WevFVzsxUpgrade naar KadastraleKaart Pro
cHhU pd76Xha4dYQc5 ws4Upgrade naar KadastraleKaart Pro
GVNBRVNCNKlNUpgrade naar KadastraleKaart Pro
47EP yXYiW8K0 0bVzN3BUpgrade naar KadastraleKaart Pro
9nAFVykNkOhNlHGFFDNV mrUpgrade naar KadastraleKaart Pro
17/01/2002

Percelen
Gebruik de zoekbalk of klik op een perceel om informatie over het perceel te bekijken.