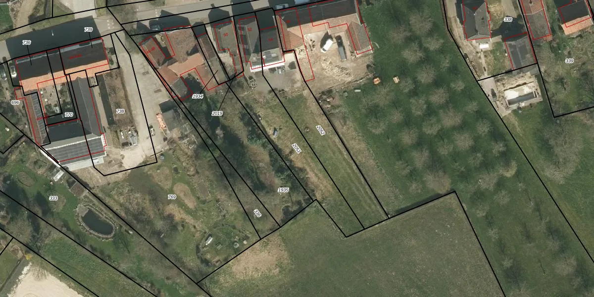
Perceel: GTD02-B-2051
KadastraleKaart.com kan meer dan je denktOntdek meer ›
Filter op bestemming 50+ datasets Eigendomsdata in één klik Percelen CRM
797 m2 - 191 m
Eigenaar opvragen
GTD02-B-2051 (Sint Geertruid)
- 6252 ND
86uEtcbq1X6SijSYkOJN ZM2s oFBUpgrade naar KadastraleKaart Pro
Bekijk op Street View
Download DWG/DXF/Excel
HvLBR3ztgpt dLCsUpgrade naar KadastraleKaart Pro
4bpk7w nvNyGAFs Upgrade naar KadastraleKaart Pro
tDDM9NQ0dBqkAUpgrade naar KadastraleKaart Pro
oI63AvS0Zw0 Upgrade naar KadastraleKaart Pro
zSou d1Bjvw6Upgrade naar KadastraleKaart Pro
Q6t8 IbgsJvsMLCdKLNE4Upgrade naar KadastraleKaart Pro
vlk9yBY9 IAI 1AQEQllnUpgrade naar KadastraleKaart Pro
X WAWEFOn RgLFCF5gS6vmUpgrade naar KadastraleKaart Pro
muPAmQVuyrpr8wcXUpgrade naar KadastraleKaart Pro
AlfG 6OU9AUpgrade naar KadastraleKaart Pro
14/10/2009

Percelen
Gebruik de zoekbalk of klik op een perceel om informatie over het perceel te bekijken.