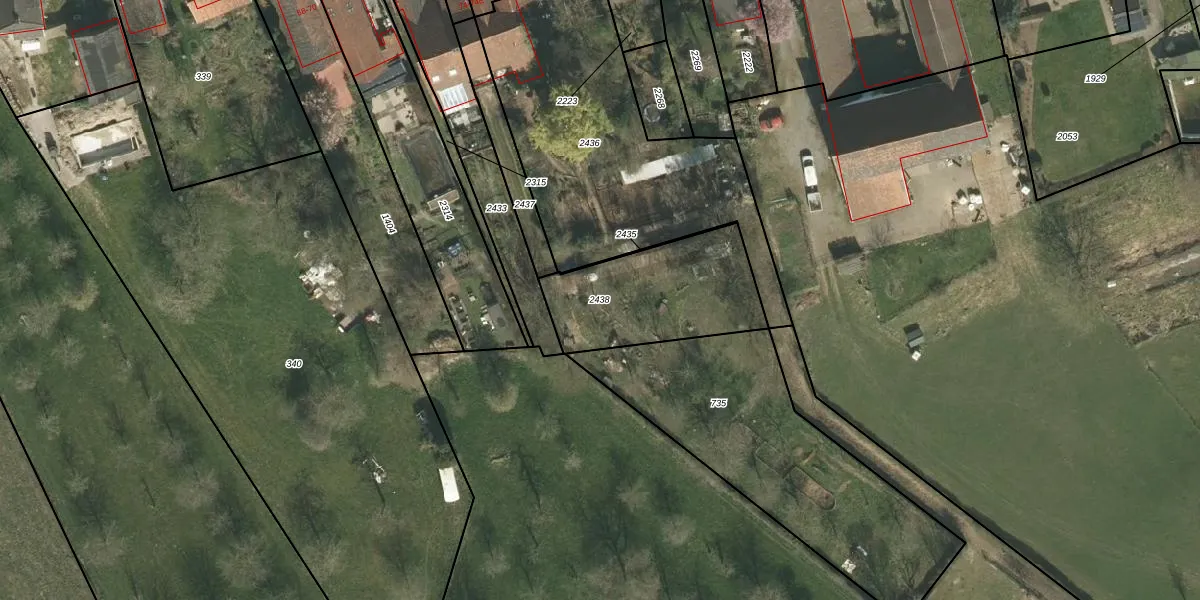
Perceel: GTD02-B-2438
KadastraleKaart.com kan meer dan je denktOntdek meer ›
Filter op bestemming 50+ datasets Eigendomsdata in één klik Percelen CRM
Geen adressen bij dit perceel
536 m2 - 101 m
Eigenaar opvragen
GTD02-B-2438 (Sint Geertruid)
- Geen postcode aanwezig
q Cl6eiSAWR3GlGt gSD2u VxlZUUpgrade naar KadastraleKaart Pro
Bekijk op Street View
Download DWG/DXF/Excel
8Mg04gGyHZx0njUUUpgrade naar KadastraleKaart Pro
ryYHGMgW2DPYQuR3l7tUpgrade naar KadastraleKaart Pro
CpYzzPiuUpgrade naar KadastraleKaart Pro
ioRtjyQMy4k iHUpgrade naar KadastraleKaart Pro
kUNpA0erylOzUpgrade naar KadastraleKaart Pro
SCpoK8em3 f8zft3eUpgrade naar KadastraleKaart Pro
tXQ TmDFmdWjjPG4Upgrade naar KadastraleKaart Pro
kgoeIzsmCfQY0XwfUpgrade naar KadastraleKaart Pro
1om 2qMwP1UOKUpgrade naar KadastraleKaart Pro
Ds2e Bb4hLB pE5msmqUpgrade naar KadastraleKaart Pro
21/05/2025

Percelen
Gebruik de zoekbalk of klik op een perceel om informatie over het perceel te bekijken.