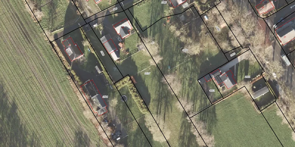
Perceel: GTG00-E-2177

Adres bij perceel

Perceeloppervlakte & perceelomtrek

2.550 m2 - 278 m

Eigenaar van het perceel

Eigenaar opvragen

Kadastrale aanduiding

GTG00-E-2177 (Grootegast)

Postcode in perceel

    9864 TD

Type eigenaar

dzPV4lh Au0 dS0IhVC Si3M2 pUpgrade naar KadastraleKaart Pro

Woning verkocht in 2008

Verkoopprijs opvragen

Google Street View

Bekijk op Street View

Download

Download DWG/DXF/Excel

Gerelateerde percelen

vHC7nfLNzUpgrade naar KadastraleKaart Pro

Bebouwd/onbebouwd/water/groen

BfzaVvOKtFAtWXR7G6uUpgrade naar KadastraleKaart Pro
Administratieve eenheden
ODZxav2NUw 0HUpgrade naar KadastraleKaart Pro

Appartementsrechten

V0O49e k v1P6Upgrade naar KadastraleKaart Pro

Vergunningverlenende instanties

NpHRsBU5 KVa4UyCLJX leUpgrade naar KadastraleKaart Pro

Bedekking (BGT)

7XU6rHFO7 NrCCE2Upgrade naar KadastraleKaart Pro

Publiekrechtelijke beperkingen

1Zgmk EPUyPUpgrade naar KadastraleKaart Pro

Grensnauwkeurigheid

XPOwEj28cvwIYHd BX1Upgrade naar KadastraleKaart Pro

Coördinaten hoekpunten perceel

YOxllLl8kw72VSYZeLdZmiUpgrade naar KadastraleKaart Pro

Hoogteligging

qqzRHFNnGXKc3i11Upgrade naar KadastraleKaart Pro

Laatst gewijzigd

14/11/1997

Kadastrale kaart met maatvoering 59,95
Kadastrale kaart pakket 28,95

Percelen

Gebruik de zoekbalk of klik op een perceel om informatie over het perceel te bekijken.
Locatie
Meten
Lagen
Download