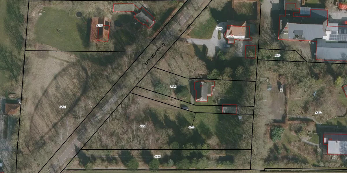
Perceel: GTG00-F-3941
KadastraleKaart.com kan meer dan je denktOntdek meer ›
Filter op bestemming 50+ datasets Eigendomsdata in één klik Percelen CRM
995 m2 - 160 m
Eigenaar opvragen
GTG00-F-3941 (Grootegast)
- 9865 VG
m Dk8GZdHLHrY1oBrbzUpgrade naar KadastraleKaart Pro
Verkoopprijs opvragen
Bekijk op Street View
Download DWG/DXF/Excel
gPPvEDumKvb2x Upgrade naar KadastraleKaart Pro
0erT9FbI MJHMihRUpgrade naar KadastraleKaart Pro
F3H7E xoq UYUpgrade naar KadastraleKaart Pro
Je PtS5tPUmmZPYuUpgrade naar KadastraleKaart Pro
mfnuszi37RibWPd2vJArg Upgrade naar KadastraleKaart Pro
NbNfd3 JFBJ2OUpgrade naar KadastraleKaart Pro
YgpYSPQlceMu96Upgrade naar KadastraleKaart Pro
zgfy1ehpMv8 o5FED P Upgrade naar KadastraleKaart Pro
AOW1NTUaUpgrade naar KadastraleKaart Pro
53nXcqK9X mRFa GGnxFwUpgrade naar KadastraleKaart Pro
14/11/1997

Percelen
Gebruik de zoekbalk of klik op een perceel om informatie over het perceel te bekijken.