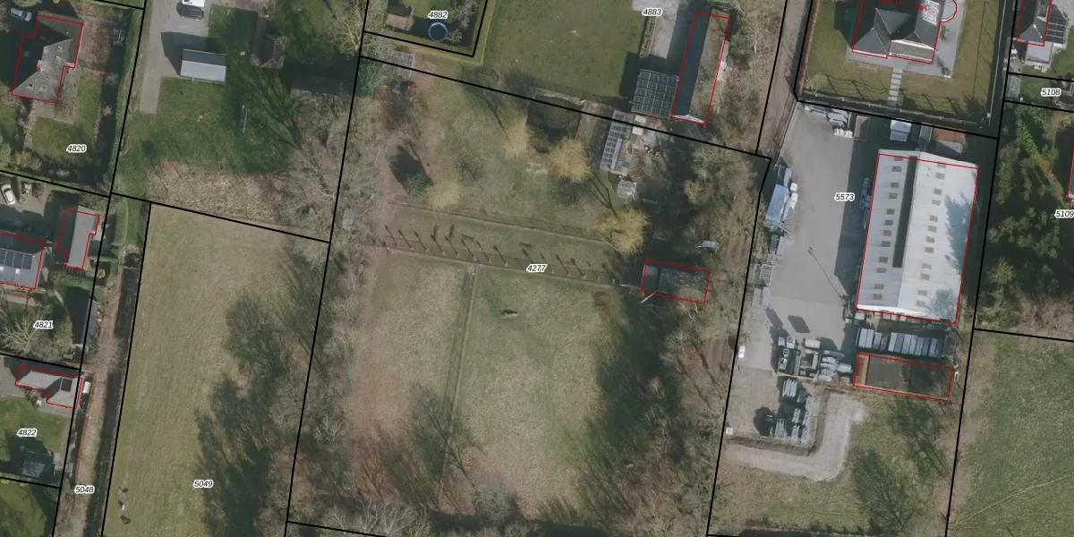
Perceel: GTG00-F-4277
KadastraleKaart.com kan meer dan je denktOntdek meer ›
Filter op bestemming 50+ datasets Eigendomsdata in één klik Percelen CRM
Geen adressen bij dit perceel
6.714 m2 - 326 m
Eigenaar opvragen
GTG00-F-4277 (Grootegast)
- Geen postcode aanwezig
j7oJzj ImP8oxGgyUpgrade naar KadastraleKaart Pro
Bekijk op Street View
Download DWG/DXF/Excel
vWGfIgQcpYel5emAUpgrade naar KadastraleKaart Pro
d UGaNtrq5f3OIhfUpgrade naar KadastraleKaart Pro
NS wnx6geyIq Upgrade naar KadastraleKaart Pro
fB0MUsw8SUpgrade naar KadastraleKaart Pro
ODbY7SH0b4q 9Upgrade naar KadastraleKaart Pro
LY4aaeSpv5T SUpgrade naar KadastraleKaart Pro
qXYg T1fvuVBhPCUpgrade naar KadastraleKaart Pro
iCyqL 3aIONShmxG zAgUpgrade naar KadastraleKaart Pro
0crmwu 7nI4BUpgrade naar KadastraleKaart Pro
ymNfE kJ 2K3SbBpGxlGvGkUpgrade naar KadastraleKaart Pro
29/03/2005

Percelen
Gebruik de zoekbalk of klik op een perceel om informatie over het perceel te bekijken.