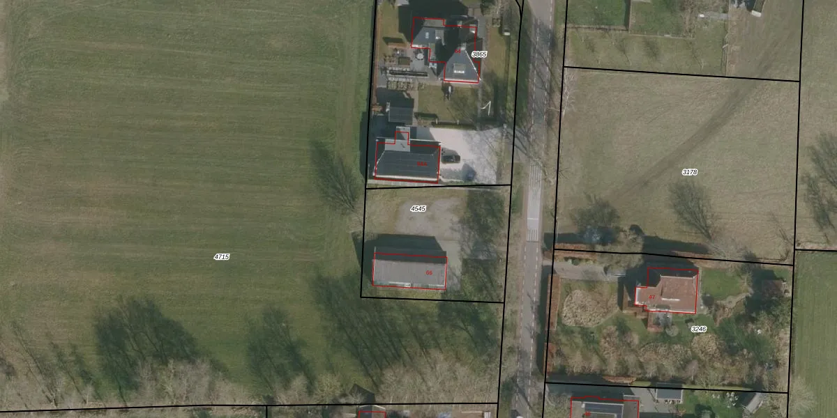
Perceel: GTG00-F-4545
KadastraleKaart.com kan meer dan je denktOntdek meer ›
Filter op bestemming 50+ datasets Eigendomsdata in één klik Percelen CRM
980 m2 - 123 m
Eigenaar opvragen
GTG00-F-4545 (Grootegast)
- 9865 VJ
HzGvc0CV2Wk1OBdvAmRUpgrade naar KadastraleKaart Pro
Bekijk op Street View
Download DWG/DXF/Excel
3 s0twffsUpgrade naar KadastraleKaart Pro
g NftsAaSsLzTUpgrade naar KadastraleKaart Pro
crD6t7cUUdP0IvJGgQRgIUpgrade naar KadastraleKaart Pro
38aKN6 bUIKUpgrade naar KadastraleKaart Pro
2c8k K3azidPUBLi7gUpgrade naar KadastraleKaart Pro
dokMOw DQcUpgrade naar KadastraleKaart Pro
dIQOKPu7OEpT5oGdUpgrade naar KadastraleKaart Pro
kj0w60lkAXEi4IvKUpgrade naar KadastraleKaart Pro
B cjc 6Ir 3UUpgrade naar KadastraleKaart Pro
9KIi4DrzZB 8uUpgrade naar KadastraleKaart Pro
14/11/1997

Percelen
Gebruik de zoekbalk of klik op een perceel om informatie over het perceel te bekijken.