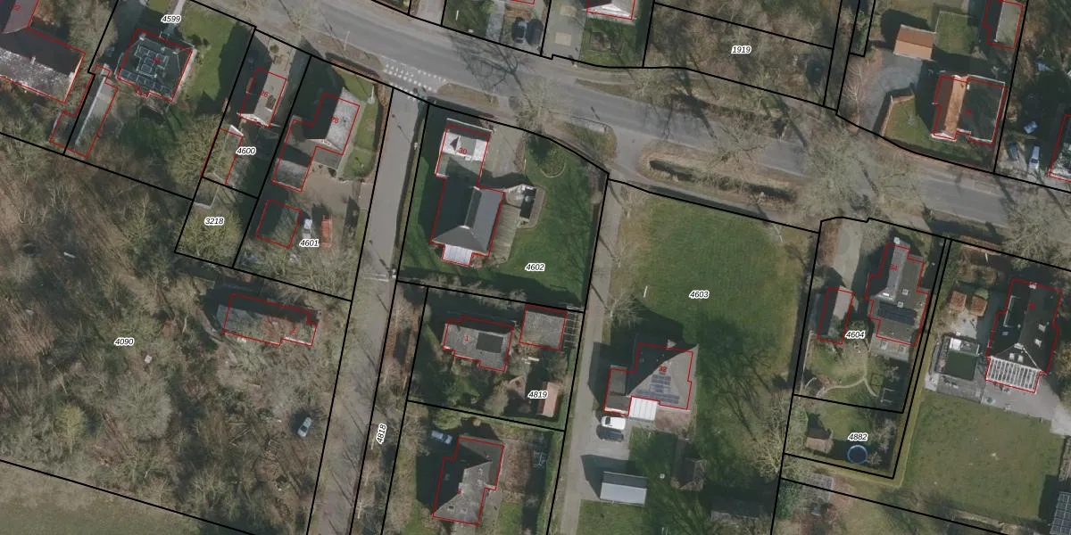
Perceel: GTG00-F-4602
KadastraleKaart.com kan meer dan je denktOntdek meer ›
Filter op bestemming 50+ datasets Eigendomsdata in één klik Percelen CRM
1.151 m2 - 132 m
Eigenaar opvragen
GTG00-F-4602 (Grootegast)
- 9865 AJ
dQ8CB9M asI0s6YzUpgrade naar KadastraleKaart Pro
Bekijk op Street View
Download DWG/DXF/Excel
jD f8jn78nUpgrade naar KadastraleKaart Pro
MslKtIe4KOUpgrade naar KadastraleKaart Pro
Le8X TPeI rLSJpUpgrade naar KadastraleKaart Pro
iuvKSjM3Bk o6j39Upgrade naar KadastraleKaart Pro
n1 N78eO5lznfwUpgrade naar KadastraleKaart Pro
ERYjWj9qkeLmoaEhpoUpgrade naar KadastraleKaart Pro
QcGEMRUEXDgq3OUpgrade naar KadastraleKaart Pro
1LJVEcoSgsvUoUpgrade naar KadastraleKaart Pro
zjJkS GZnBUpgrade naar KadastraleKaart Pro
tL62jB8MZjOsaKwY 6Upgrade naar KadastraleKaart Pro
09/06/2023

Percelen
Gebruik de zoekbalk of klik op een perceel om informatie over het perceel te bekijken.