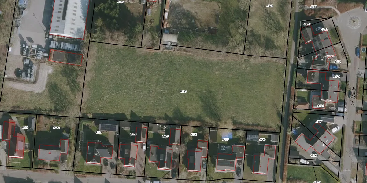
Perceel: GTG00-F-4695
KadastraleKaart.com kan meer dan je denktOntdek meer ›
Filter op bestemming 50+ datasets Eigendomsdata in één klik Percelen CRM
Geen adressen bij dit perceel
4.477 m2 - 304 m
Eigenaar opvragen
GTG00-F-4695 (Grootegast)
- Geen postcode aanwezig
2LazQtHq hJV PUi 6QUpgrade naar KadastraleKaart Pro
Bekijk op Street View
Download DWG/DXF/Excel
Pf8C8dge7BGXUpgrade naar KadastraleKaart Pro
Vqlptu 5PUpgrade naar KadastraleKaart Pro
jeo0VLuvfntUpgrade naar KadastraleKaart Pro
RVlukEaPdoC7ZRahfoUpgrade naar KadastraleKaart Pro
bdxdEog2yf7rQ2Upgrade naar KadastraleKaart Pro
9nCt8tEwWp hmV7uk0 ffUpgrade naar KadastraleKaart Pro
9utEtRzPfZUpgrade naar KadastraleKaart Pro
ufVxUYwqmlUpgrade naar KadastraleKaart Pro
S FvE S ji2UUpgrade naar KadastraleKaart Pro
TZKt2IxQSzoK1ntiUpgrade naar KadastraleKaart Pro
21/09/2006

Percelen
Gebruik de zoekbalk of klik op een perceel om informatie over het perceel te bekijken.