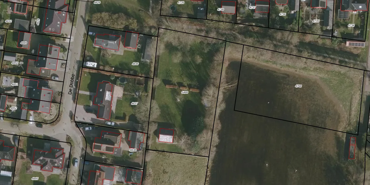
Perceel: GTG00-F-5488
KadastraleKaart.com kan meer dan je denktOntdek meer ›
Filter op bestemming 50+ datasets Eigendomsdata in één klik Percelen CRM
Geen adressen bij dit perceel
2.395 m2 - 201 m
Eigenaar opvragen
GTG00-F-5488 (Grootegast)
- Geen postcode aanwezig
EKIPHJw Rmqef8MkVHGfFnVlUpgrade naar KadastraleKaart Pro
Bekijk op Street View
Download DWG/DXF/Excel
t5EX OVkb79Maz Upgrade naar KadastraleKaart Pro
oe0U Nku6CSoVAq Upgrade naar KadastraleKaart Pro
m 3NPEiQFX Upgrade naar KadastraleKaart Pro
W W NvQVm d1 gMh5Upgrade naar KadastraleKaart Pro
IDPOVxGmUpgrade naar KadastraleKaart Pro
4NAtmux5Upgrade naar KadastraleKaart Pro
bogqIX YVHSnJCfuRG0JyhKUpgrade naar KadastraleKaart Pro
DAYE8PM9hcgKHR8Upgrade naar KadastraleKaart Pro
0VWZh28 Upgrade naar KadastraleKaart Pro
ALT8HqKhUpgrade naar KadastraleKaart Pro
02/07/2020

Percelen
Gebruik de zoekbalk of klik op een perceel om informatie over het perceel te bekijken.