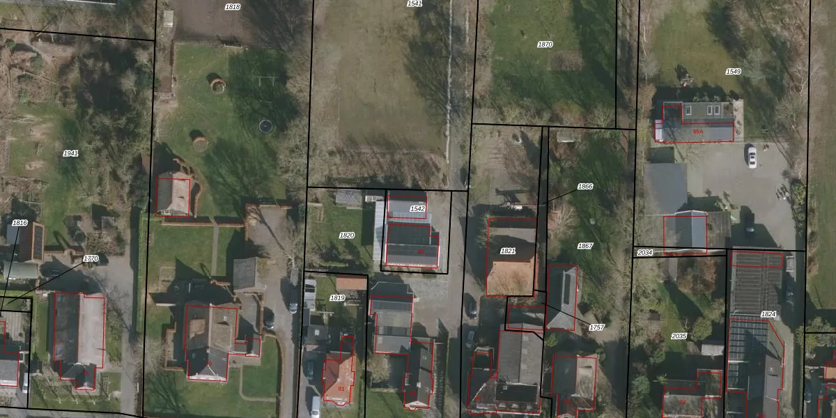
Perceel: GTG00-G-1542

Adres bij perceel

Perceeloppervlakte & perceelomtrek

305 m2 - 71 m

Eigenaar van het perceel

Eigenaar opvragen

Kadastrale aanduiding

GTG00-G-1542 (Grootegast)

Postcode in perceel

    9865 AD

Type eigenaar

HeClNEBYLRIkF KlUGAbX9MaF7sT7Upgrade naar KadastraleKaart Pro

Google Street View

Bekijk op Street View

Download

Download DWG/DXF/Excel

Gerelateerde percelen

vULKa5FHIQur6a5Upgrade naar KadastraleKaart Pro

Bebouwd/onbebouwd/water/groen

bhWyw3pP181Upgrade naar KadastraleKaart Pro
Administratieve eenheden
HCQoYL F izyhO a06wBdStUpgrade naar KadastraleKaart Pro

Appartementsrechten

c3ytyH s738HvT q2Upgrade naar KadastraleKaart Pro

Vergunningverlenende instanties

iUZE9repUpgrade naar KadastraleKaart Pro

Bedekking (BGT)

ZLaRvc40EEo7Y Upgrade naar KadastraleKaart Pro

Publiekrechtelijke beperkingen

z3hwMz54UcoGlgPFYYGX Upgrade naar KadastraleKaart Pro

Grensnauwkeurigheid

TBOxVr ecoUpgrade naar KadastraleKaart Pro

Coördinaten hoekpunten perceel

L nwkyhun3Tgh A1EwnbWgUpgrade naar KadastraleKaart Pro

Hoogteligging

7i3iBa306ABwS7oX2oUpgrade naar KadastraleKaart Pro

Laatst gewijzigd

14/11/1997

Kadastrale kaart met maatvoering 59,95
Kadastrale kaart pakket 28,95

Percelen

Gebruik de zoekbalk of klik op een perceel om informatie over het perceel te bekijken.
Locatie
Meten
Lagen
Download