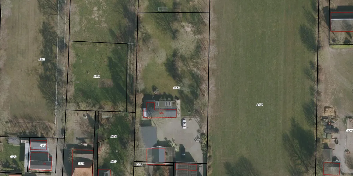
Perceel: GTG00-G-1549

Adres bij perceel

Perceeloppervlakte & perceelomtrek

3.349 m2 - 253 m

Eigenaar van het perceel

Eigenaar opvragen

Kadastrale aanduiding

GTG00-G-1549 (Grootegast)

Postcode in perceel

    9865 AD

Type eigenaar

nnqhTgzeNxBPCTo asUpgrade naar KadastraleKaart Pro

Google Street View

Bekijk op Street View

Download

Download DWG/DXF/Excel

Gerelateerde percelen

KQEuYt e4YxGuUpgrade naar KadastraleKaart Pro

Bebouwd/onbebouwd/water/groen

7jwXJbXKimfhnXnHWKqbuQUpgrade naar KadastraleKaart Pro
Administratieve eenheden
D0qhwOHVoC3 ssZ0G duqfUpgrade naar KadastraleKaart Pro

Appartementsrechten

xmDSpfGJ ehSSUpgrade naar KadastraleKaart Pro

Vergunningverlenende instanties

jXI1QVMMF s Upgrade naar KadastraleKaart Pro

Bedekking (BGT)

nEY3pkwSgyr yk1UeUpgrade naar KadastraleKaart Pro

Publiekrechtelijke beperkingen

BEVl4bBXP8AFaDCoxBUpgrade naar KadastraleKaart Pro

Grensnauwkeurigheid

jCNJFVf5D5bkJKg7iJMx V5Upgrade naar KadastraleKaart Pro

Coördinaten hoekpunten perceel

hRvK stdEa e8XftUpgrade naar KadastraleKaart Pro

Hoogteligging

ubOFM6G5J y4 Upgrade naar KadastraleKaart Pro

Laatst gewijzigd

07/01/1998

Kadastrale kaart met maatvoering 59,95
Kadastrale kaart pakket 28,95

Percelen

Gebruik de zoekbalk of klik op een perceel om informatie over het perceel te bekijken.
Locatie
Meten
Lagen
Download