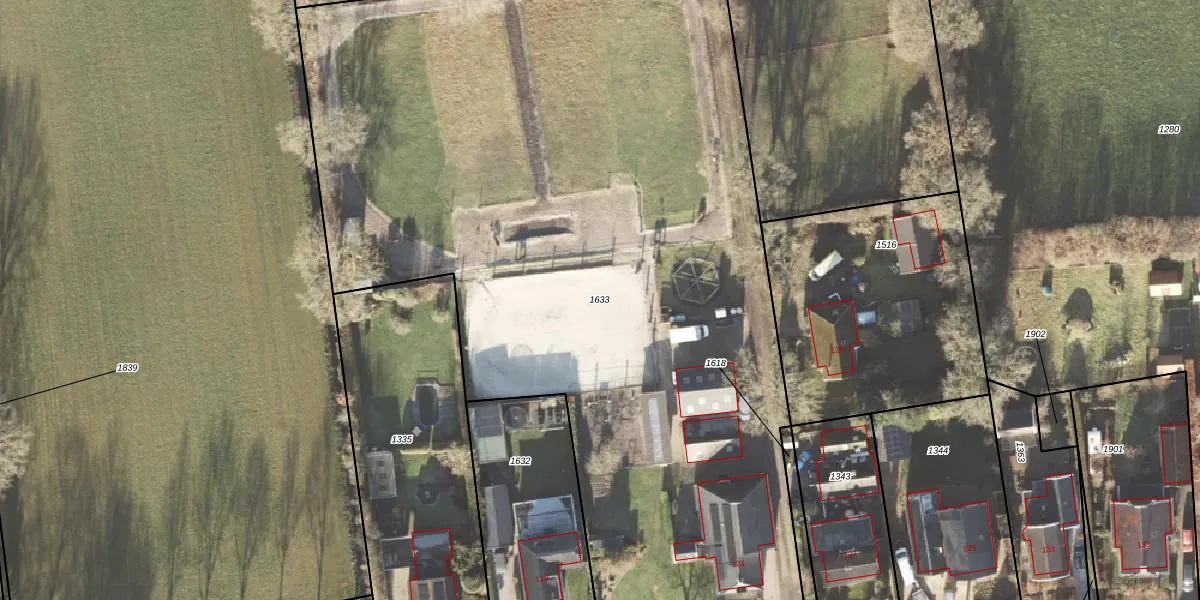
Perceel: GTG00-G-1633

Adres bij perceel

Perceeloppervlakte & perceelomtrek

6.004 m2 - 366 m

Eigenaar van het perceel

Eigenaar opvragen

Kadastrale aanduiding

GTG00-G-1633 (Grootegast)

Postcode in perceel

    9865 AE

Type eigenaar

BNFfOIsl5BGXjL1JynTNugsetDhJHUpgrade naar KadastraleKaart Pro

Woning verkocht in 2017

Verkoopprijs opvragen

Google Street View

Bekijk op Street View

Download

Download DWG/DXF/Excel

Gerelateerde percelen

OG8 2k33kdjPUpgrade naar KadastraleKaart Pro

Bebouwd/onbebouwd/water/groen

XRVTz2n05EZ5F13p4H8ovAPUpgrade naar KadastraleKaart Pro
Administratieve eenheden
4QDiuXxpUpgrade naar KadastraleKaart Pro

Appartementsrechten

6VJixFcgL8oUpgrade naar KadastraleKaart Pro

Vergunningverlenende instanties

mtqlG l5r1ku ConRs Upgrade naar KadastraleKaart Pro

Bedekking (BGT)

c5sTR sBN0eUpgrade naar KadastraleKaart Pro

Publiekrechtelijke beperkingen

iKHG5JKWrL6P Z5o UwWHLUpgrade naar KadastraleKaart Pro

Grensnauwkeurigheid

KJvy YweqCCX C1kRZ8Rv OUpgrade naar KadastraleKaart Pro

Coördinaten hoekpunten perceel

u PuQ5Xyb2tUpgrade naar KadastraleKaart Pro

Hoogteligging

5hWTlb8Dl9 rhRsu ru tfcUpgrade naar KadastraleKaart Pro

Laatst gewijzigd

01/05/2006

Kadastrale kaart met maatvoering 59,95
Kadastrale kaart pakket 28,95

Percelen

Gebruik de zoekbalk of klik op een perceel om informatie over het perceel te bekijken.
Locatie
Meten
Lagen
Download