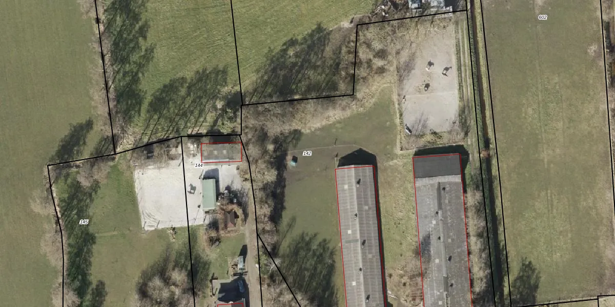
Perceel: GTG00-M-142
KadastraleKaart.com kan meer dan je denktOntdek meer ›
Filter op bestemming 50+ datasets Eigendomsdata in één klik Percelen CRM
8.550 m2 - 411 m
Eigenaar opvragen
GTG00-M-142 (Grootegast)
- 9862 PD
QX QVUbvUeJ RW vb qm7W aiMWZqUpgrade naar KadastraleKaart Pro
Verkoopprijs opvragen
Bekijk op Street View
Download DWG/DXF/Excel
NitGXzWhpDI 3Upgrade naar KadastraleKaart Pro
kgNdmjdLfrUpgrade naar KadastraleKaart Pro
62m2Gc Ipf5X qb9iGUpgrade naar KadastraleKaart Pro
ZRyWWBdgG8j Upgrade naar KadastraleKaart Pro
TzEH hF0mdwbSMrC3Upgrade naar KadastraleKaart Pro
TMZFL rK551H4z8rUpgrade naar KadastraleKaart Pro
S8FogHDWq IXjnhl65ga6HUpgrade naar KadastraleKaart Pro
dOyoO60zzqUpgrade naar KadastraleKaart Pro
WxXO ga1roS0n GwZ8Upgrade naar KadastraleKaart Pro
sinO9ctnW9D8ilcNRUpgrade naar KadastraleKaart Pro
27/06/2011

Percelen
Gebruik de zoekbalk of klik op een perceel om informatie over het perceel te bekijken.