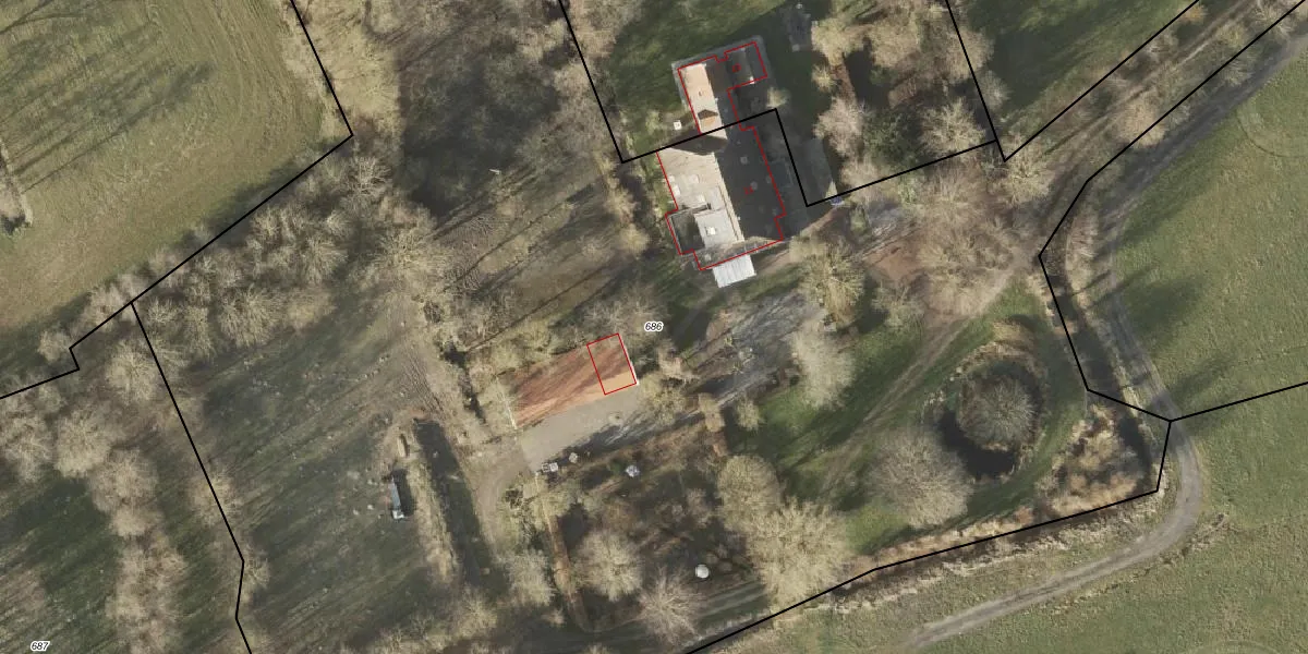
Perceel: GTG00-M-686
KadastraleKaart.com kan meer dan je denktOntdek meer ›
Filter op bestemming 50+ datasets Eigendomsdata in één klik Percelen CRM
13.110 m2 - 750 m
Eigenaar opvragen
GTG00-M-686 (Grootegast)
- 9862 TM
8SPndizS6JnlHD LyH08g0 2b9QOaUpgrade naar KadastraleKaart Pro
Verkoopprijs opvragen
Bekijk op Street View
Download DWG/DXF/Excel
HwXuf5n3xZbqZyyfypuu Upgrade naar KadastraleKaart Pro
WHHL7E55 otHYY6FKiBUpgrade naar KadastraleKaart Pro
3SNQgCh VXq3mf3BSNTQ943Upgrade naar KadastraleKaart Pro
CUDtkVz14uC 7 rp uUpgrade naar KadastraleKaart Pro
JFMdRJrzIVWm ljkUpgrade naar KadastraleKaart Pro
vu0pGJKjhTd9 r5CH8DUpgrade naar KadastraleKaart Pro
E0G4DXKMW6H3eVP7Y48tVjUpgrade naar KadastraleKaart Pro
wL3n RNHf fgE1Kia4SvTUpgrade naar KadastraleKaart Pro
5 oG uoui 7Upgrade naar KadastraleKaart Pro
hiUxOJxABw4PHfr 1Upgrade naar KadastraleKaart Pro
20/02/2020

Percelen
Gebruik de zoekbalk of klik op een perceel om informatie over het perceel te bekijken.