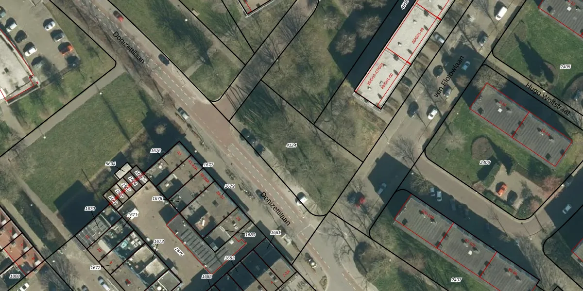
Perceel: GTL01-D-4124
KadastraleKaart.com kan meer dan je denktOntdek meer ›
Filter op bestemming 50+ datasets Eigendomsdata in één klik Percelen CRM
Geen adressen bij dit perceel
965 m2 - 133 m
Eigenaar opvragen
GTL01-D-4124 (Gestel)
- Geen postcode aanwezig
kO ICkp9BykzlKc ZePEoTWWXTUpgrade naar KadastraleKaart Pro
Bekijk op Street View
Download DWG/DXF/Excel
uJATH4HNUpgrade naar KadastraleKaart Pro
JCF9sACVwIP33ej0 0wc GUpgrade naar KadastraleKaart Pro
oFP Nb HLlXiE3em Upgrade naar KadastraleKaart Pro
nPyiaaRf fWk gc4Q6Upgrade naar KadastraleKaart Pro
YXoU9LZcV3ZIAVnWth5Upgrade naar KadastraleKaart Pro
ZlJXb3807jqUQY1QOWs4Upgrade naar KadastraleKaart Pro
UB3JlPd LxEtyobUpgrade naar KadastraleKaart Pro
e2kudXBcJTWUpgrade naar KadastraleKaart Pro
Ht1e1LiUanhoCNfleB P7eUpgrade naar KadastraleKaart Pro
pTdKfp0u6PFpguyHM9BszUpgrade naar KadastraleKaart Pro
25/07/2006

Percelen
Gebruik de zoekbalk of klik op een perceel om informatie over het perceel te bekijken.