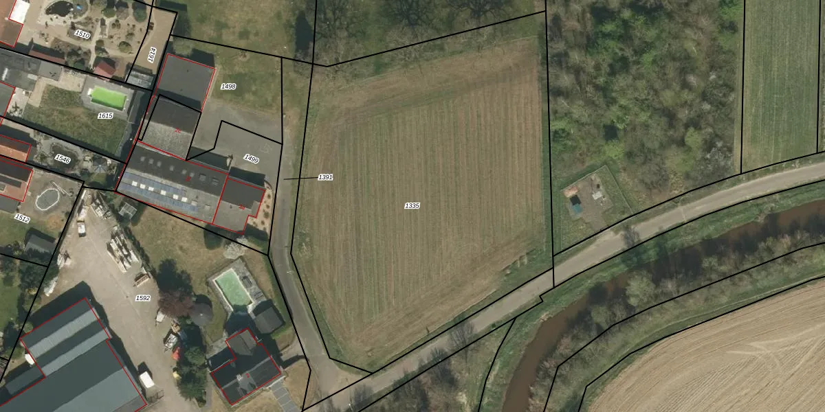
Perceel: GTM00-D-1335
Geen adressen bij dit perceel
4.210 m2 - 256 m
Eigenaar opvragen
GTM00-D-1335 (Grathem)
- Geen postcode aanwezig
1jUGo1TKnt1VJ h2Ye9kGRDUpgrade naar KadastraleKaart Pro
Bekijk op Street View
Download DWG/DXF/Excel
0JldRMk Upgrade naar KadastraleKaart Pro
hEPiBlGC7ssjURUpgrade naar KadastraleKaart Pro
jPfBVTs71 6DMOf OUpgrade naar KadastraleKaart Pro
AkEY8KE5mlUF9QugUpgrade naar KadastraleKaart Pro
YO3bK OZ8Upgrade naar KadastraleKaart Pro
Rf j9UJ4nGmbdNd3JSBcweUpgrade naar KadastraleKaart Pro
cut0GI OYHHeGwZmlaHDUpgrade naar KadastraleKaart Pro
iRzSz4CL gZXbfRYMgzWV CUpgrade naar KadastraleKaart Pro
4RWJvi7uFvJUpgrade naar KadastraleKaart Pro
J ujQ3kXMsm boS0PFeUpgrade naar KadastraleKaart Pro
12/12/2008

Percelen
Gebruik de zoekbalk of klik op een perceel om informatie over het perceel te bekijken.