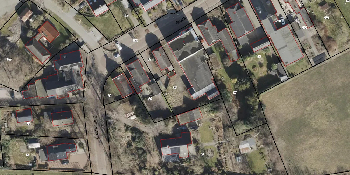
Perceel: GTN00-I-96
KadastraleKaart.com kan meer dan je denktOntdek meer ›
Filter op bestemming 50+ datasets Eigendomsdata in één klik Percelen CRM
1.153 m2 - 152 m
Eigenaar opvragen
GTN00-I-96 (Gieten)
- 9511 PT
JGl qJ1iY T a6ocKp9PixtLeAiUpgrade naar KadastraleKaart Pro
Bekijk op Street View
Download DWG/DXF/Excel
AkwwRnGCGLUpgrade naar KadastraleKaart Pro
cOF5G CpQdi2XJvV0liUpgrade naar KadastraleKaart Pro
ieB9gc2YiKAHGZUc 0Upgrade naar KadastraleKaart Pro
EbGwIIBZ6dz6TZI Upgrade naar KadastraleKaart Pro
yunXXY sAqUpgrade naar KadastraleKaart Pro
SzhBLnqtxKR4Vk4rrUpgrade naar KadastraleKaart Pro
6 9w7JmmjMvtQLUpgrade naar KadastraleKaart Pro
w8eBgq3hCzxUpgrade naar KadastraleKaart Pro
So giGwBWtA d57Upgrade naar KadastraleKaart Pro
ipcxlojYbgoGLXkqMUpgrade naar KadastraleKaart Pro
17/05/2001

Percelen
Gebruik de zoekbalk of klik op een perceel om informatie over het perceel te bekijken.