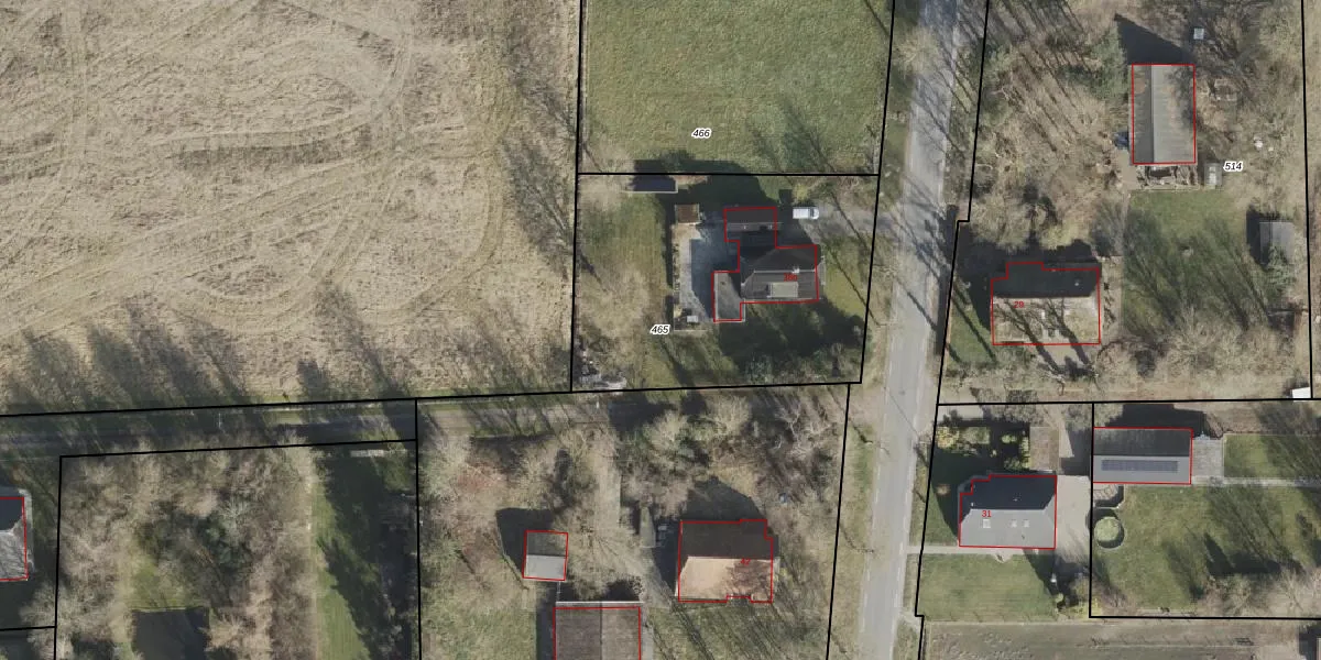
Perceel: GTN00-K-465
KadastraleKaart.com kan meer dan je denktOntdek meer ›
Filter op bestemming 50+ datasets Eigendomsdata in één klik Percelen CRM
1.445 m2 - 154 m
Eigenaar opvragen
GTN00-K-465 (Gieten)
- 9511 PN
6 JwkFztQqpk Iinx57C S3WA1QBrd4Upgrade naar KadastraleKaart Pro
Verkoopprijs opvragen
Bekijk op Street View
Download DWG/DXF/Excel
mGvTdBmKWNNPUpgrade naar KadastraleKaart Pro
iFg LlOwFnUpgrade naar KadastraleKaart Pro
qDmJ4 hkWh9oc3qUpgrade naar KadastraleKaart Pro
j9cv4D68P4 TU3TCYwG8KLOUpgrade naar KadastraleKaart Pro
Nu4t pi9T4wGpB Ro5sOKwnUpgrade naar KadastraleKaart Pro
Al2a9 GniA0Ea v6UPUUpgrade naar KadastraleKaart Pro
aP7dH 6TR0jWGzkVTUpgrade naar KadastraleKaart Pro
4mc R84Upgrade naar KadastraleKaart Pro
fmtKvL547 bam wOAGhx7ZUpgrade naar KadastraleKaart Pro
VFXjQwtiaUpgrade naar KadastraleKaart Pro
14/03/2006

Percelen
Gebruik de zoekbalk of klik op een perceel om informatie over het perceel te bekijken.