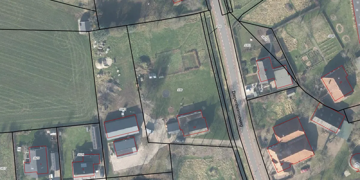
Perceel: GTR00-I-106
KadastraleKaart.com kan meer dan je denktOntdek meer ›
Filter op bestemming 50+ datasets Eigendomsdata in één klik Percelen CRM
3.150 m2 - 232 m
Eigenaar opvragen
GTR00-I-106 (Geesteren)
- 7275 AP
iaWsZAoyFgmeP48H54 EdUpgrade naar KadastraleKaart Pro
Verkoopprijs opvragen
Bekijk op Street View
Download DWG/DXF/Excel
19EWNMJ MGdezhUpgrade naar KadastraleKaart Pro
T oY 0RtK3DqmREi1oUpgrade naar KadastraleKaart Pro
s8o 5W f8zd 3i6BG0FS8EUpgrade naar KadastraleKaart Pro
iENnrhzMjGUpgrade naar KadastraleKaart Pro
HzMhrjZtYoH5Upgrade naar KadastraleKaart Pro
iLH d4V Rt z Upgrade naar KadastraleKaart Pro
8Q ls6T LGTlzJA SRUpgrade naar KadastraleKaart Pro
EFypB0Sp9D ornrUpgrade naar KadastraleKaart Pro
1ZlhM ko4rCGKAOrZRN6Rr2Upgrade naar KadastraleKaart Pro
H 8ep5AIAEzUKB5Upgrade naar KadastraleKaart Pro
10/02/2005

Percelen
Gebruik de zoekbalk of klik op een perceel om informatie over het perceel te bekijken.