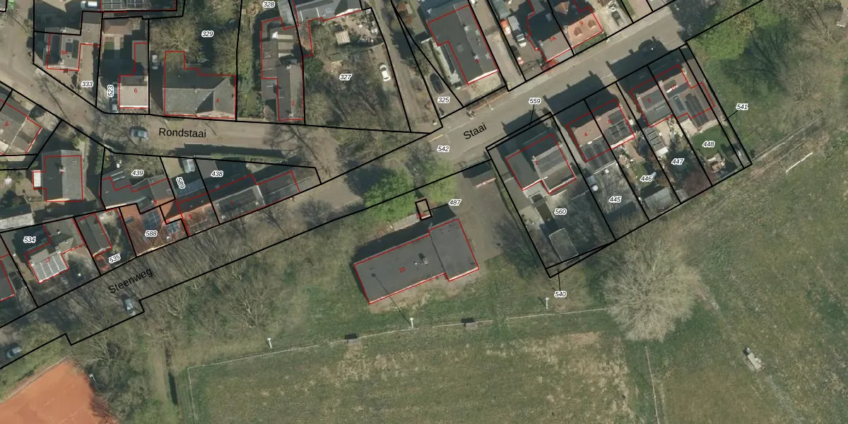
Perceel: GVB00-D-487
KadastraleKaart.com kan meer dan je denktOntdek meer ›
Filter op bestemming 50+ datasets Eigendomsdata in één klik Percelen CRM
11 m2 - 14 m
Eigenaar opvragen
GVB00-D-487 (Grevenbicht)
- Geen postcode aanwezig
VleMpTEMte84 JOUWNRo5Cb6JbUpgrade naar KadastraleKaart Pro
Bekijk op Street View
Download DWG/DXF/Excel
2I u 6 LuI7PN loopoUpgrade naar KadastraleKaart Pro
pqdo 149do9UewfdUpgrade naar KadastraleKaart Pro
jm7 MdXXic F5qB6Upgrade naar KadastraleKaart Pro
0eq B8nwLax M aIgUpgrade naar KadastraleKaart Pro
9jRk 2Tw b8VP79Ict7 EkGUpgrade naar KadastraleKaart Pro
L5usiH AfNw03 lz0aC5 Upgrade naar KadastraleKaart Pro
dv 0cdmjm3 JGUpgrade naar KadastraleKaart Pro
jq 4z98xjDUpgrade naar KadastraleKaart Pro
8AWFSN P2zxz7vK8wUpgrade naar KadastraleKaart Pro
G UfqyBgnIHmhvKLDz K5Upgrade naar KadastraleKaart Pro
14/07/2009

Percelen
Gebruik de zoekbalk of klik op een perceel om informatie over het perceel te bekijken.