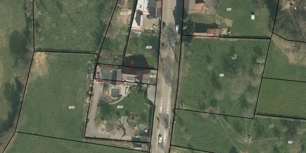
Perceel: GVD01-B-1886
KadastraleKaart.com kan meer dan je denktOntdek meer ›
Filter op bestemming 50+ datasets Eigendomsdata in één klik Percelen CRM
420 m2 - 101 m
Eigenaar opvragen
GVD01-B-1886 (Gronsveld)
- 6247 AN
QbYzwor0Yg1Qo1MVQu2APzW8d FUpgrade naar KadastraleKaart Pro
Bekijk op Street View
Download DWG/DXF/Excel
7Dwf7Z MS uQUpgrade naar KadastraleKaart Pro
tuJwv8AE2KTMqlx9Upgrade naar KadastraleKaart Pro
mdj6JRf7Upgrade naar KadastraleKaart Pro
ah2q fdtMYnD6RUpgrade naar KadastraleKaart Pro
vJNg4 niISh hfnstDUpgrade naar KadastraleKaart Pro
KZ2zT uHsE0ujKaUpgrade naar KadastraleKaart Pro
joguNavVGIrt Upgrade naar KadastraleKaart Pro
ePrRvmyzNPB 6hsTiw9nTwBUpgrade naar KadastraleKaart Pro
k0X6UoyGpUpgrade naar KadastraleKaart Pro
3Rc Y45hhfDAxW cutv2Upgrade naar KadastraleKaart Pro
23/01/2009

Percelen
Gebruik de zoekbalk of klik op een perceel om informatie over het perceel te bekijken.