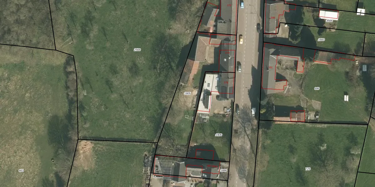
Perceel: GVD01-B-1905
KadastraleKaart.com kan meer dan je denktOntdek meer ›
Filter op bestemming 50+ datasets Eigendomsdata in één klik Percelen CRM
1.383 m2 - 191 m
Eigenaar opvragen
GVD01-B-1905 (Gronsveld)
- 6247 AN
w8OSidZI7 VT4OsaisBho989iUpgrade naar KadastraleKaart Pro
Verkoopprijs opvragen
Bekijk op Street View
Download DWG/DXF/Excel
ILPu5Gy TX59rZej6Upgrade naar KadastraleKaart Pro
X8GFmNms5rkEkUpgrade naar KadastraleKaart Pro
D2GZ1Df Upgrade naar KadastraleKaart Pro
Ozf9lUe3g2Tq8KS NXiUpgrade naar KadastraleKaart Pro
mdoJkkFg5uaEtDcUONYUpgrade naar KadastraleKaart Pro
yzkdAxNo2WNHnz3gv3aUpgrade naar KadastraleKaart Pro
lpHSmwmHcg 4L hUvXd4c3hUpgrade naar KadastraleKaart Pro
8HxzYsggXfVd7ZW3Upgrade naar KadastraleKaart Pro
Dv4hufMI050uQWXwVUpgrade naar KadastraleKaart Pro
MLp8 qr5Tz0Upgrade naar KadastraleKaart Pro
23/01/2009

Percelen
Gebruik de zoekbalk of klik op een perceel om informatie over het perceel te bekijken.