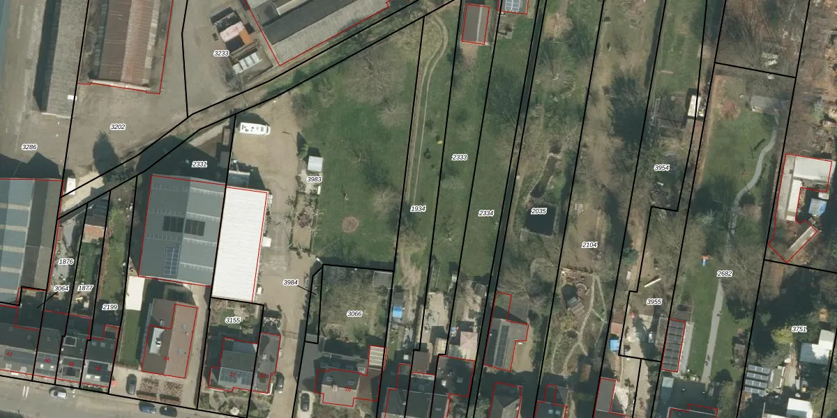
Perceel: GVD01-B-1934
KadastraleKaart.com kan meer dan je denktOntdek meer ›
Filter op bestemming 50+ datasets Eigendomsdata in één klik Percelen CRM
810 m2 - 229 m
Eigenaar opvragen
GVD01-B-1934 (Gronsveld)
- 6247 BL
byKqUVL83kxiVct2 L ejKkEUpgrade naar KadastraleKaart Pro
Bekijk op Street View
Download DWG/DXF/Excel
K5yCV e5QmbMyIeaUpgrade naar KadastraleKaart Pro
jE53dIUxPHmTsfdj4yUpgrade naar KadastraleKaart Pro
09ras35EMr7AFQuYZA2BmjFUpgrade naar KadastraleKaart Pro
R7SpgP IvDUu8sOUqwwGEIUpgrade naar KadastraleKaart Pro
zJgXTmAmVRvn JLUpgrade naar KadastraleKaart Pro
sD4SQe60t747o2hMxjKyUpgrade naar KadastraleKaart Pro
CLCgI1 y39nssAscyScnmUpgrade naar KadastraleKaart Pro
V0RULNC0UXfE mUpgrade naar KadastraleKaart Pro
Ru HqT kHgYSI4L5 JZ Upgrade naar KadastraleKaart Pro
Y xPC3SvCm9Upgrade naar KadastraleKaart Pro
06/12/2023

Percelen
Gebruik de zoekbalk of klik op een perceel om informatie over het perceel te bekijken.