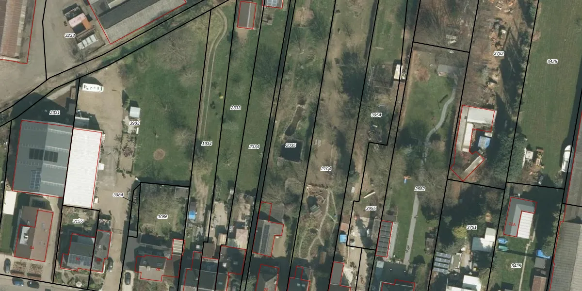
Perceel: GVD01-B-2035
KadastraleKaart.com kan meer dan je denktOntdek meer ›
Filter op bestemming 50+ datasets Eigendomsdata in één klik Percelen CRM
1.830 m2 - 284 m
Eigenaar opvragen
GVD01-B-2035 (Gronsveld)
- 6247 BL
lKbZQgrnNoTC3wyNxRYdyw8aX1jjOUpgrade naar KadastraleKaart Pro
Verkoopprijs opvragen
Bekijk op Street View
Download DWG/DXF/Excel
6eHGEsktIVGXRQUpgrade naar KadastraleKaart Pro
htrEa4nRI9GqSBwlEtD0HaUpgrade naar KadastraleKaart Pro
GvaGthPw2qXa2d 7vuHeLUpgrade naar KadastraleKaart Pro
KizyzHGiENbNHR 6lBOMuUpgrade naar KadastraleKaart Pro
eS35yJWZZmmU4yX nUpgrade naar KadastraleKaart Pro
3AXm qR5T jnVhnWWIUpgrade naar KadastraleKaart Pro
iNpBIDukP xRUpgrade naar KadastraleKaart Pro
YVi2fYcaX7aUpgrade naar KadastraleKaart Pro
XW7aS6q0EzKCpEilEKgUpgrade naar KadastraleKaart Pro
JHSIjXzAUpgrade naar KadastraleKaart Pro
22/01/2009

Percelen
Gebruik de zoekbalk of klik op een perceel om informatie over het perceel te bekijken.