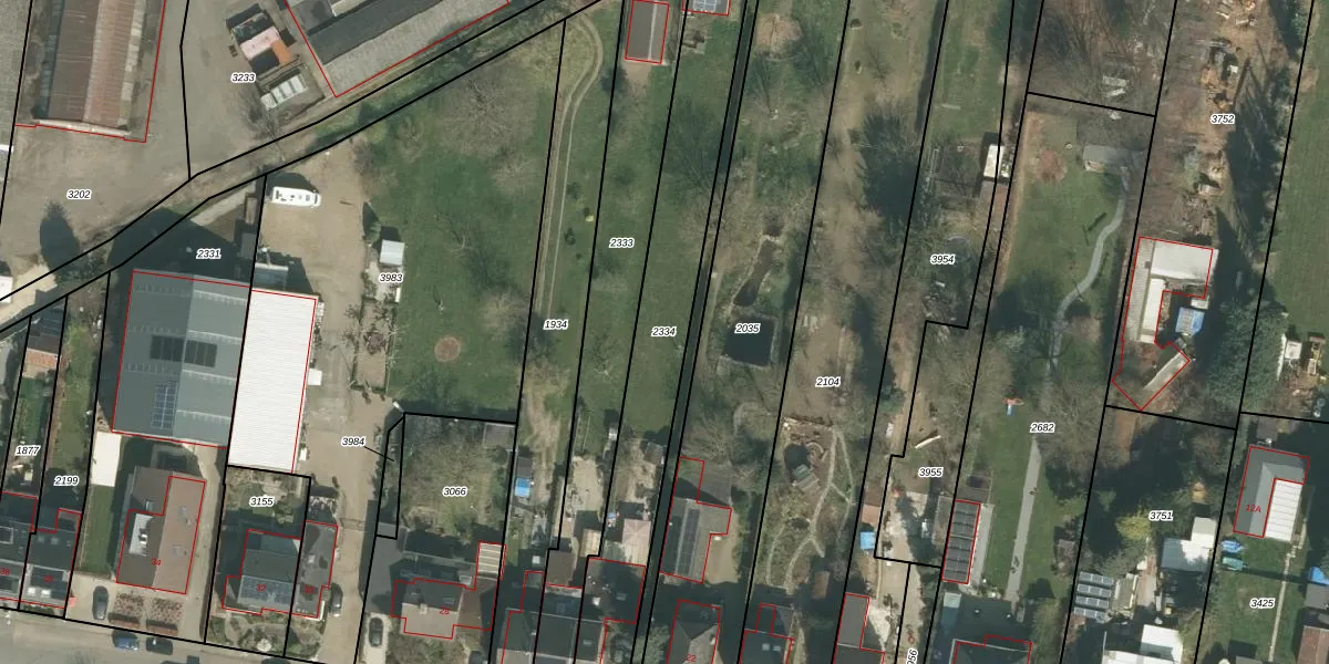
Perceel: GVD01-B-2334
KadastraleKaart.com kan meer dan je denktOntdek meer ›
Filter op bestemming 50+ datasets Eigendomsdata in één klik Percelen CRM
955 m2 - 260 m
Eigenaar opvragen
GVD01-B-2334 (Gronsveld)
- 6247 BL
HPGJpKLw rxMPzTIZIKrVi7Upgrade naar KadastraleKaart Pro
Verkoopprijs opvragen
Bekijk op Street View
Download DWG/DXF/Excel
lvzn5PQk1YzcJt76ijDUpgrade naar KadastraleKaart Pro
MylMNDonmWle Upgrade naar KadastraleKaart Pro
D79PdRbq yzfX79m5l8gz Upgrade naar KadastraleKaart Pro
S9EsXgj 0a D4Upgrade naar KadastraleKaart Pro
lkUgx oaVhRFLfrO1V1Upgrade naar KadastraleKaart Pro
P3q6rIZWmrhdUpgrade naar KadastraleKaart Pro
MC D3Crms E2tUpgrade naar KadastraleKaart Pro
q6dqx vo0Upgrade naar KadastraleKaart Pro
owuqgK0xAM7ybAUpgrade naar KadastraleKaart Pro
bHR9ZtY yPaa ieUpgrade naar KadastraleKaart Pro
06/12/2023

Percelen
Gebruik de zoekbalk of klik op een perceel om informatie over het perceel te bekijken.