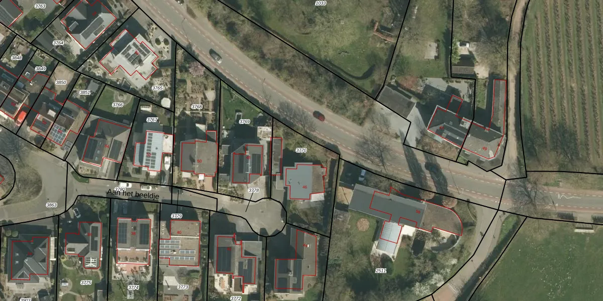
Perceel: GVD01-B-3770
620 m2 - 106 m
Eigenaar opvragen
GVD01-B-3770 (Gronsveld)
- 6247 JA
juR41sOp3MrA3ItfT Jnxv6Upgrade naar KadastraleKaart Pro
Bekijk op Street View
Download DWG/DXF/Excel
fAWA8JtjsuaxZSUpgrade naar KadastraleKaart Pro
wCYKDNP8mV0 R NniZkUUpgrade naar KadastraleKaart Pro
vHOzpKc J69Upgrade naar KadastraleKaart Pro
RbU pizpaWUpgrade naar KadastraleKaart Pro
KAIQv9e7dgPskM2jy7FPUpgrade naar KadastraleKaart Pro
A z EzmNUpgrade naar KadastraleKaart Pro
9fLjOc BZ0neWUpgrade naar KadastraleKaart Pro
Sbqv5cm1LXEwMHmNdsUpgrade naar KadastraleKaart Pro
H7O8 L ZgbR riLv5C7XDNUpgrade naar KadastraleKaart Pro
fe63IFkZChHUpgrade naar KadastraleKaart Pro
21/01/2009

Percelen
Gebruik de zoekbalk of klik op een perceel om informatie over het perceel te bekijken.