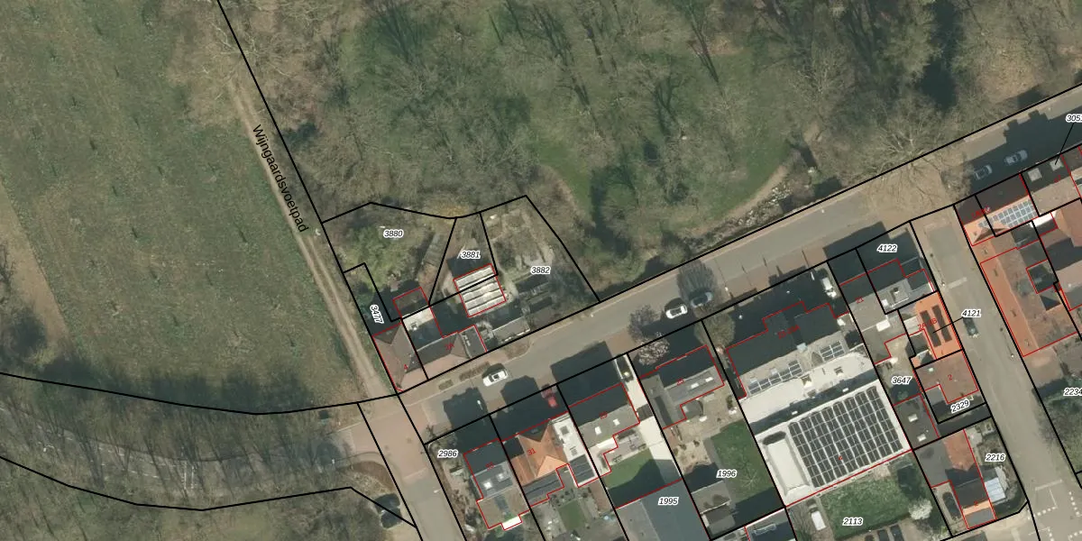
Perceel: GVD01-B-3882
KadastraleKaart.com kan meer dan je denktOntdek meer ›
Filter op bestemming 50+ datasets Eigendomsdata in één klik Percelen CRM
550 m2 - 112 m
Eigenaar opvragen
GVD01-B-3882 (Gronsveld)
- 6247 BL
jX J pkuMUZY C8QUpgrade naar KadastraleKaart Pro
Verkoopprijs opvragen
Bekijk op Street View
Download DWG/DXF/Excel
FJ99eBbIo Upgrade naar KadastraleKaart Pro
N55Bm1nr7dE Upgrade naar KadastraleKaart Pro
jyI2ps8 7lh0K01lQLUpgrade naar KadastraleKaart Pro
Q5QptBG6xUpgrade naar KadastraleKaart Pro
JCVOb4WsRpT2B3SulE6Upgrade naar KadastraleKaart Pro
Jf7Y IEf0NUpgrade naar KadastraleKaart Pro
bVH9wqH6 Upgrade naar KadastraleKaart Pro
lc a8Wyy25Yk zWNut4BUpgrade naar KadastraleKaart Pro
SrtvpOJSuleKCN0mrGX3fUpgrade naar KadastraleKaart Pro
3TGsugF7FyUpgrade naar KadastraleKaart Pro
23/01/2009

Percelen
Gebruik de zoekbalk of klik op een perceel om informatie over het perceel te bekijken.