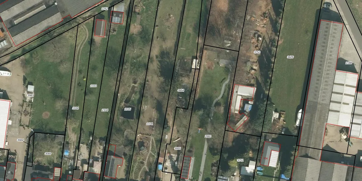
Perceel: GVD01-B-3954
KadastraleKaart.com kan meer dan je denktOntdek meer ›
Filter op bestemming 50+ datasets Eigendomsdata in één klik Percelen CRM
1.260 m2 - 325 m
Eigenaar opvragen
GVD01-B-3954 (Gronsveld)
- 6247 BL
atY3BHdOchRaVWJYqe8uCR skgUpgrade naar KadastraleKaart Pro
Verkoopprijs opvragen
Bekijk op Street View
Download DWG/DXF/Excel
L de sq9dWgJL0JQ3iF3la4Upgrade naar KadastraleKaart Pro
fIC33JojAlQdUpgrade naar KadastraleKaart Pro
hW7tNRbqOYDbAx6DOUUpgrade naar KadastraleKaart Pro
ckiqY2zg GQmKJhz0d9UNUUpgrade naar KadastraleKaart Pro
T8WPtfemp4C RkUpgrade naar KadastraleKaart Pro
YnCo JZdyUpgrade naar KadastraleKaart Pro
WR bjENaoVZ 45ghUpgrade naar KadastraleKaart Pro
nAh9MfZNwwUpgrade naar KadastraleKaart Pro
L C7INiOWxy7 RUpgrade naar KadastraleKaart Pro
7JOztmbZ55j y rUpgrade naar KadastraleKaart Pro
22/01/2009

Percelen
Gebruik de zoekbalk of klik op een perceel om informatie over het perceel te bekijken.