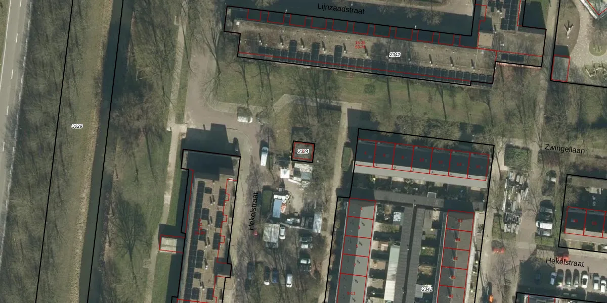
Perceel: GVD02-B-2324
KadastraleKaart.com kan meer dan je denktOntdek meer ›
Filter op bestemming 50+ datasets Eigendomsdata in één klik Percelen CRM
42 m2 - 27 m
Eigenaar opvragen
GVD02-B-2324 ('s-Gravendeel)
- 3295 TP
vmCDj j3sUz4Ga3AHHzrfqBsaUpgrade naar KadastraleKaart Pro
Bekijk op Street View
Download DWG/DXF/Excel
FzvcbrWl9yUpgrade naar KadastraleKaart Pro
vsdP99tl7uyrxVGHueUpgrade naar KadastraleKaart Pro
YTPN84rHxOT QsDUpgrade naar KadastraleKaart Pro
ie1ADgejtMRDqiVUpgrade naar KadastraleKaart Pro
qjHvGBHViWCsO1IbEUpgrade naar KadastraleKaart Pro
nfGoNVr Yr2n zBirsWUpgrade naar KadastraleKaart Pro
fbb z8bJAUpgrade naar KadastraleKaart Pro
pZy H RUGNInwNZOwblzsUpgrade naar KadastraleKaart Pro
YhrE2m HrTN9V vTH1kUpgrade naar KadastraleKaart Pro
VGfEDhFPiHq3dQTZD8yq6Upgrade naar KadastraleKaart Pro
07/04/2008

Percelen
Gebruik de zoekbalk of klik op een perceel om informatie over het perceel te bekijken.