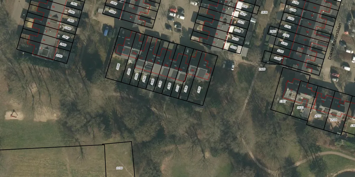
Perceel: GVE00-E-1437
KadastraleKaart.com kan meer dan je denktOntdek meer ›
Filter op bestemming 50+ datasets Eigendomsdata in één klik Percelen CRM
141 m2 - 70 m
Eigenaar opvragen
GVE00-E-1437 (Grave)
- 5361 NA
6ILBasHPCb 12wSBOWPUpgrade naar KadastraleKaart Pro
Verkoopprijs opvragen
Bekijk op Street View
Download DWG/DXF/Excel
wTpJ1cu Dhb SUpgrade naar KadastraleKaart Pro
gTFE1KgoGlgBUpgrade naar KadastraleKaart Pro
PtP9oFQ gUpgrade naar KadastraleKaart Pro
UMmf ECENraUpgrade naar KadastraleKaart Pro
95D zE5w76Upgrade naar KadastraleKaart Pro
L Wj4pgYD6oZA9FtWtIUqKjUpgrade naar KadastraleKaart Pro
3YNsS BJLq5F vPE0L Upgrade naar KadastraleKaart Pro
piarnG qUpgrade naar KadastraleKaart Pro
p6B Acd9CiVcEUpgrade naar KadastraleKaart Pro
845ompBsTuYdbdUpgrade naar KadastraleKaart Pro
22/11/2010

Percelen
Gebruik de zoekbalk of klik op een perceel om informatie over het perceel te bekijken.