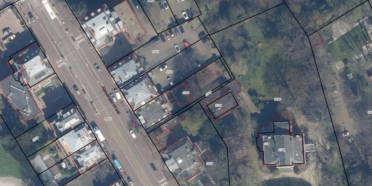
Perceel: GVH11-P-1505
KadastraleKaart.com kan meer dan je denktOntdek meer ›
Filter op bestemming 50+ datasets Eigendomsdata in één klik Percelen CRM
667 m2 - 134 m
Eigenaar opvragen
GVH11-P-1505 ('s-Gravenhage)
- 2514 JM
luqzzMFrG1 ZRK83 34kBT4CUpgrade naar KadastraleKaart Pro
Bekijk op Street View
Download DWG/DXF/Excel
Sa8g e X8wUpgrade naar KadastraleKaart Pro
GBNF6hQoxUQq6IUpgrade naar KadastraleKaart Pro
k0UC2C6yw7GB3t6T YUpgrade naar KadastraleKaart Pro
uOUnOyJZ61Upgrade naar KadastraleKaart Pro
bQx 5 8L4 HUpgrade naar KadastraleKaart Pro
YwwoJjkYM7rorUpgrade naar KadastraleKaart Pro
kb4VxzHX96zHDrA SUpgrade naar KadastraleKaart Pro
fhsVC6 DTUpgrade naar KadastraleKaart Pro
zb6pw9rMjlxY 418 IcUpgrade naar KadastraleKaart Pro
EEgv1wiSUpgrade naar KadastraleKaart Pro
23/11/2022

Percelen
Gebruik de zoekbalk of klik op een perceel om informatie over het perceel te bekijken.