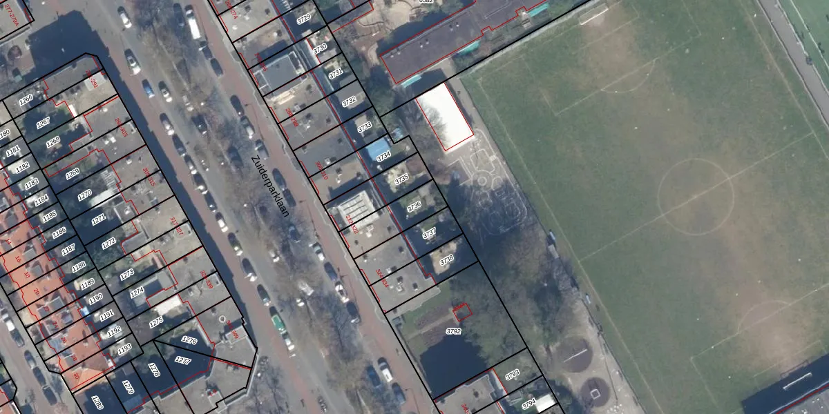
Perceel: GVH28-AL-3736
KadastraleKaart.com kan meer dan je denktOntdek meer ›
Filter op bestemming 50+ datasets Eigendomsdata in één klik Percelen CRM
195 m2 - 68 m
Eigenaar opvragen
GVH28-AL-3736 ('s-Gravenhage)
- 2574 GP
bSweWDpb0oI5lCAa0VSooUUpgrade naar KadastraleKaart Pro
Verkoopprijs opvragen
Bekijk op Street View
Download DWG/DXF/Excel
kx 96XVv 4LQUpgrade naar KadastraleKaart Pro
CNLQcnCbuS5HSh12NP22Upgrade naar KadastraleKaart Pro
p6SP1 3Hl QHzxwvKk Upgrade naar KadastraleKaart Pro
XwxujIm4 aJXw B8hLUpgrade naar KadastraleKaart Pro
SM9p1 IdmBUpgrade naar KadastraleKaart Pro
lxz UuijUpgrade naar KadastraleKaart Pro
28VtVI6WFjOoKrDln3oUAUpgrade naar KadastraleKaart Pro
D 5awae7 Upgrade naar KadastraleKaart Pro
GFuhTV FjEBzvvV6bUpgrade naar KadastraleKaart Pro
HFl0babBFRMhl3bjblGUpgrade naar KadastraleKaart Pro
04/10/2007

Percelen
Gebruik de zoekbalk of klik op een perceel om informatie over het perceel te bekijken.