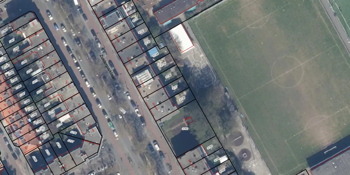
Perceel: GVH28-AL-3737
KadastraleKaart.com kan meer dan je denktOntdek meer ›
Filter op bestemming 50+ datasets Eigendomsdata in één klik Percelen CRM
195 m2 - 67 m
Eigenaar opvragen
GVH28-AL-3737 ('s-Gravenhage)
- 2574 GP
gt6 x2V4fEyU Y vvj0jWAvMDA GBZyUpgrade naar KadastraleKaart Pro
Verkoopprijs opvragen
Bekijk op Street View
Download DWG/DXF/Excel
YA y2rZhOS8F5RUpgrade naar KadastraleKaart Pro
VzIQRP eYUpgrade naar KadastraleKaart Pro
L KBhJenzP8Qs6NUpgrade naar KadastraleKaart Pro
IP SlIzOWQ1o9 YUpgrade naar KadastraleKaart Pro
UpGI qgXGo4lRI4XSUpgrade naar KadastraleKaart Pro
Y1AKidCSFn3J8kI CaL83Upgrade naar KadastraleKaart Pro
T8p3cifePU6gZSXuP crUpgrade naar KadastraleKaart Pro
IQK5i Xbzu81CSUpgrade naar KadastraleKaart Pro
C2wYPr bOoH Upgrade naar KadastraleKaart Pro
86Vy5LrUyaFZspi0L42bIzAUpgrade naar KadastraleKaart Pro
04/10/2007

Percelen
Gebruik de zoekbalk of klik op een perceel om informatie over het perceel te bekijken.