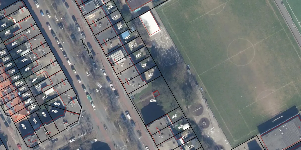
Perceel
Oppervlakte
198 m²
Aantal adressen
Aanduiding
GVH28-AL-3738 - 's-Gravenhage
Verkocht in
2015 - Verkoopprijs opvragen
Eigendom
Eigenaar
Eigenaar opvragen
Type eigenaar
2 gG 19tWvTNuUG9yUpgrade naar KadastraleKaart Pro
Appartementsrechten
Identificatie
kd2OC7brNwSykN0CMYs2Upgrade naar KadastraleKaart Pro
Gerelateerde percelen
Aanduiding
h1CHQtIAuSLnIclF0PUpgrade naar KadastraleKaart Pro
Ligging
Meer functies

Percelen
Gebruik de zoekbalk of klik op een perceel om informatie over het perceel te bekijken.