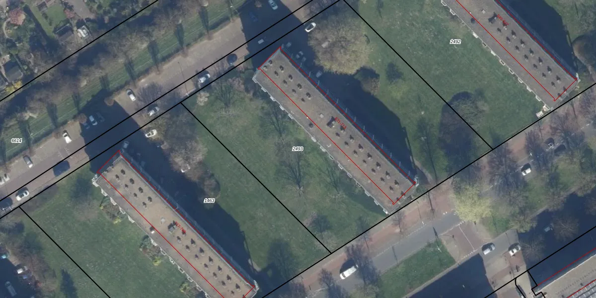
Perceel: GVH37-AW-2493
KadastraleKaart.com kan meer dan je denktOntdek meer ›
Filter op bestemming 50+ datasets Eigendomsdata in één klik Percelen CRM
4.503 m2 - 272 m
Eigenaar opvragen
GVH37-AW-2493 ('s-Gravenhage)
- 2544 AR -2544 AS
WRYmkB2 KU7BNkPpy7LL o87WKthBxUpgrade naar KadastraleKaart Pro
Verkoopprijs opvragen
Bekijk op Street View
Download DWG/DXF/Excel
H uRvwO 03muNUpgrade naar KadastraleKaart Pro
059kkjXP916 V6z2ZTPBq uUpgrade naar KadastraleKaart Pro
X SPQdDBqA2wXkWcxa4g 4Upgrade naar KadastraleKaart Pro
Y2k ytYn30SD tXdUpgrade naar KadastraleKaart Pro
wbsadVZiUpgrade naar KadastraleKaart Pro
ppniJLziabUpgrade naar KadastraleKaart Pro
N w 0LIY IaizEYUpgrade naar KadastraleKaart Pro
EIS64WbCvcDBiMD XUpgrade naar KadastraleKaart Pro
yk50JK QMY 5Upgrade naar KadastraleKaart Pro
Gf5f4Xo0ae9lkthIAfvnz1Upgrade naar KadastraleKaart Pro
19/09/2003

Percelen
Gebruik de zoekbalk of klik op een perceel om informatie over het perceel te bekijken.