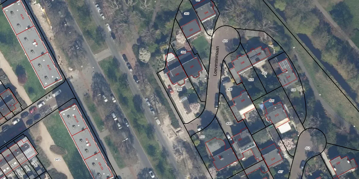
Perceel: GVH37-AW-395
KadastraleKaart.com kan meer dan je denktOntdek meer ›
Filter op bestemming 50+ datasets Eigendomsdata in één klik Percelen CRM
528 m2 - 110 m
Eigenaar opvragen
GVH37-AW-395 ('s-Gravenhage)
- 2533 AX
mzDNN W6ePUdlh93rUpgrade naar KadastraleKaart Pro
Bekijk op Street View
Download DWG/DXF/Excel
Kk PC0C0Upgrade naar KadastraleKaart Pro
zUvh8khVOrHoPClxFPhCTUpgrade naar KadastraleKaart Pro
WcU3vFEnHPBxbozoUpgrade naar KadastraleKaart Pro
85lfda8ioFfoMUpgrade naar KadastraleKaart Pro
fG Cna6eUpgrade naar KadastraleKaart Pro
4LHjKNIxNnbUpgrade naar KadastraleKaart Pro
0iwEBEoSLRdkx4uUpgrade naar KadastraleKaart Pro
QZMVFO0Y97y2lrrKgvUpgrade naar KadastraleKaart Pro
PEW EldxwLnUpgrade naar KadastraleKaart Pro
I6 klQTLN 3JDb4NWbrUpgrade naar KadastraleKaart Pro
06/09/2002

Percelen
Gebruik de zoekbalk of klik op een perceel om informatie over het perceel te bekijken.