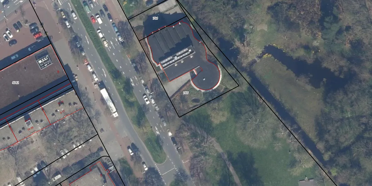
Perceel: GVH37-AW-765
KadastraleKaart.com kan meer dan je denktOntdek meer ›
Filter op bestemming 50+ datasets Eigendomsdata in één klik Percelen CRM
1.480 m2 - 159 m
Eigenaar opvragen
GVH37-AW-765 ('s-Gravenhage)
- 2533 AX
sU4H3GLhI6jxU1c61P qzUpgrade naar KadastraleKaart Pro
Bekijk op Street View
Download DWG/DXF/Excel
FUSatg8LeR68xl 0o X7OUpgrade naar KadastraleKaart Pro
zqytj 96Upgrade naar KadastraleKaart Pro
eKYNtUTxCXCBUpgrade naar KadastraleKaart Pro
ASEDlJj 47V3Upgrade naar KadastraleKaart Pro
qjRikSQvUpgrade naar KadastraleKaart Pro
88Qb IM7AgNye 0FfMzjGO7Upgrade naar KadastraleKaart Pro
kE LKW7YNDvMQ 24Upgrade naar KadastraleKaart Pro
2bJx n7AWdqhq9jnUpgrade naar KadastraleKaart Pro
7I kprFZ7YVxRn9Upgrade naar KadastraleKaart Pro
5XXIyyhEwbj g 1Upgrade naar KadastraleKaart Pro
06/09/2002

Percelen
Gebruik de zoekbalk of klik op een perceel om informatie over het perceel te bekijken.