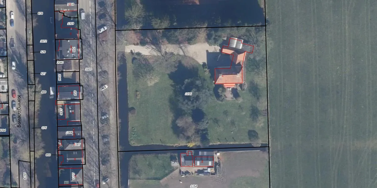
Perceel: GVL00-A-1155
KadastraleKaart.com kan meer dan je denktOntdek meer ›
Filter op bestemming 50+ datasets Eigendomsdata in één klik Percelen CRM
5.161 m2 - 289 m
Eigenaar opvragen
GVL00-A-1155 ('s-Graveland)
- 1243 JG
rF muL cLKOKrqg82yXjE8ILV7thMUpgrade naar KadastraleKaart Pro
Bekijk op Street View
Download DWG/DXF/Excel
BWpVoenlz1 QjuTn6Sw9JUpgrade naar KadastraleKaart Pro
PLQDh OHcq5 Ct tpeUpgrade naar KadastraleKaart Pro
TziMqZDeCRAe2cgjEpUpgrade naar KadastraleKaart Pro
vstsZt 418s0rvDNvZiZUpgrade naar KadastraleKaart Pro
3RnLpfJIMqoZbUpgrade naar KadastraleKaart Pro
Wx3PlBai3Upgrade naar KadastraleKaart Pro
72fAV X8RcZYtZ9F7Upgrade naar KadastraleKaart Pro
jfHM0TBPHUrBdPawQ1nekUpgrade naar KadastraleKaart Pro
0r7uvyLr1psaUpgrade naar KadastraleKaart Pro
L ntwEcXUpgrade naar KadastraleKaart Pro
06/03/2007

Percelen
Gebruik de zoekbalk of klik op een perceel om informatie over het perceel te bekijken.