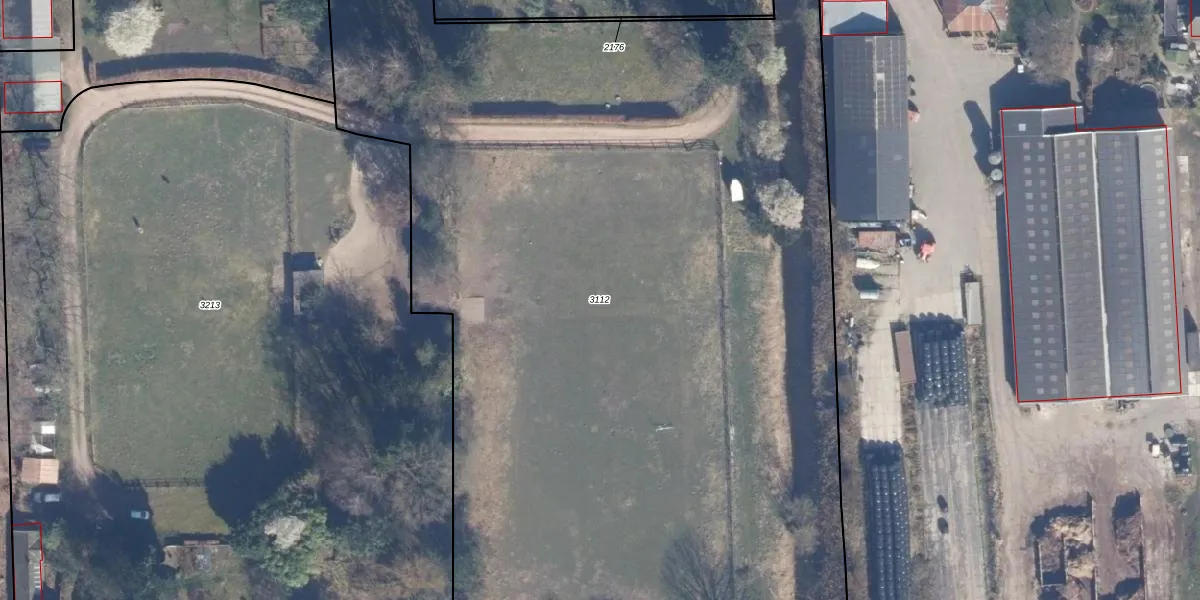
Perceel: GVL00-B-3112
KadastraleKaart.com kan meer dan je denktOntdek meer ›
Filter op bestemming 50+ datasets Eigendomsdata in één klik Percelen CRM
Geen adressen bij dit perceel
8.040 m2 - 507 m
Eigenaar opvragen
GVL00-B-3112 ('s-Graveland)
- Geen postcode aanwezig
O YHlunbK7aEPnjrqS RmqgedeUpgrade naar KadastraleKaart Pro
Bekijk op Street View
Download DWG/DXF/Excel
PNp55F yMzaqI1Vlp6 BsUpgrade naar KadastraleKaart Pro
iXHK4W0e KLFUpgrade naar KadastraleKaart Pro
sco0X1Uo2jsugF5rQbSVUpgrade naar KadastraleKaart Pro
e83wV2x8XwrvNlAUpgrade naar KadastraleKaart Pro
Y mz Cjj9Upgrade naar KadastraleKaart Pro
yxYAlbtSdPTPUpgrade naar KadastraleKaart Pro
6a2N gyLOcUpgrade naar KadastraleKaart Pro
jgjes 2Q5VqNvYNosS7z KhUpgrade naar KadastraleKaart Pro
mppyNY3pB4gUpgrade naar KadastraleKaart Pro
87HSG vfhe Upgrade naar KadastraleKaart Pro
02/07/2015

Percelen
Gebruik de zoekbalk of klik op een perceel om informatie over het perceel te bekijken.