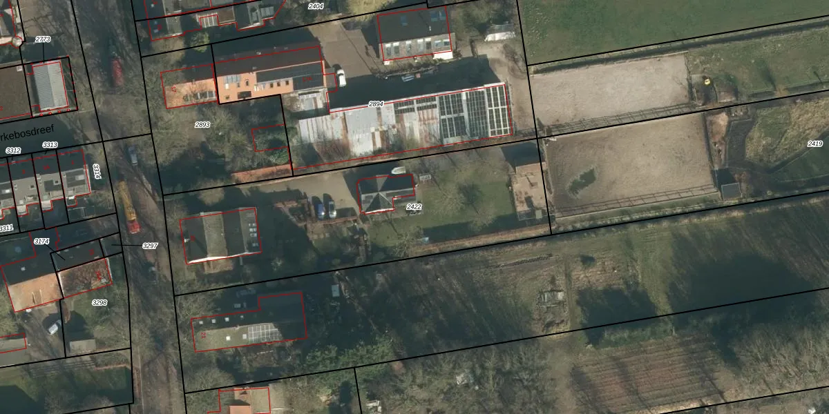
Perceel: GVM00-B-2422
KadastraleKaart.com kan meer dan je denktOntdek meer ›
Filter op bestemming 50+ datasets Eigendomsdata in één klik Percelen CRM
2.210 m2 - 232 m
Eigenaar opvragen
GVM00-B-2422 ('s-Gravenmoer)
- 5109 AA
NpT0zNrVv wDq9AiDTUNKUpgrade naar KadastraleKaart Pro
Verkoopprijs opvragen
Bekijk op Street View
Download DWG/DXF/Excel
6aRFQIWT VOpjSYKmnhInEUpgrade naar KadastraleKaart Pro
V3W OXDAWX taUpgrade naar KadastraleKaart Pro
v4sncxE9gVZ WTmAx MiUpgrade naar KadastraleKaart Pro
tpOOLval9uq 6XUpgrade naar KadastraleKaart Pro
BKx flwOH3hQUpgrade naar KadastraleKaart Pro
PaL7eR 2MeKQj9 5Upgrade naar KadastraleKaart Pro
YxsBdScCFj6Upgrade naar KadastraleKaart Pro
9W4P2c9uKKsAH0Upgrade naar KadastraleKaart Pro
v21RyAGFQlhUpgrade naar KadastraleKaart Pro
dYgAfoVnkzUpgrade naar KadastraleKaart Pro
06/12/2006

Percelen
Gebruik de zoekbalk of klik op een perceel om informatie over het perceel te bekijken.