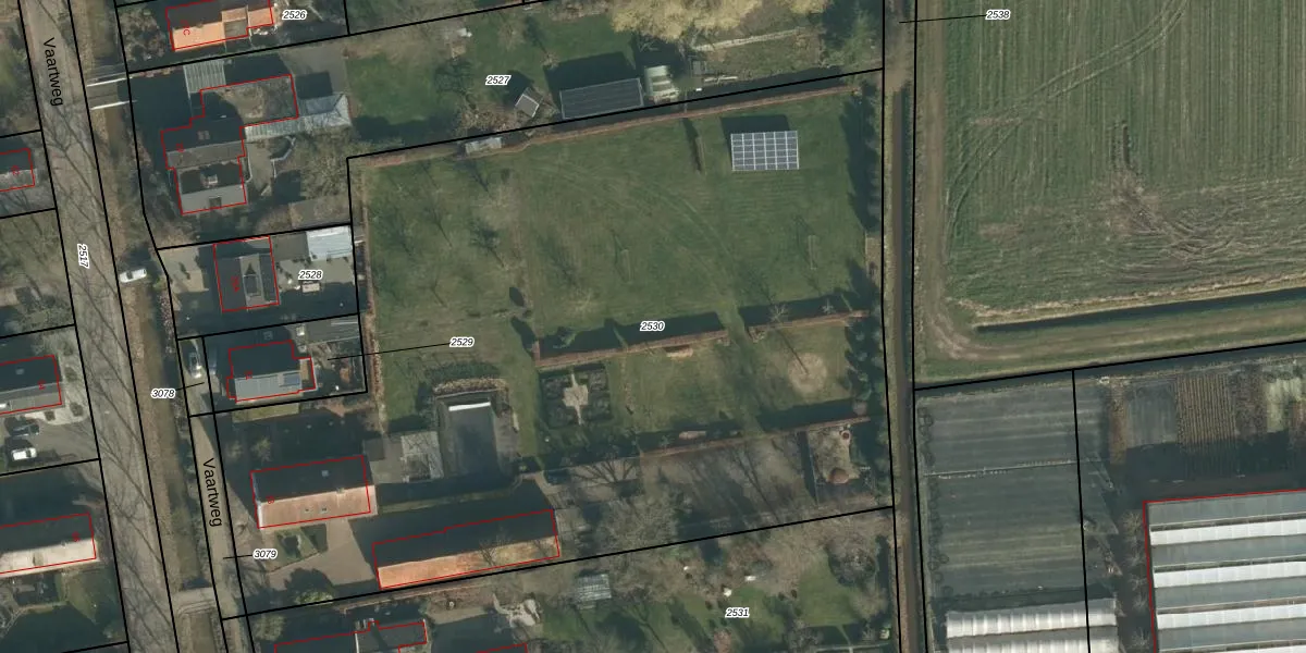
Perceel: GVM00-B-2530
KadastraleKaart.com kan meer dan je denktOntdek meer ›
Filter op bestemming 50+ datasets Eigendomsdata in één klik Percelen CRM
6.047 m2 - 342 m
Eigenaar opvragen
GVM00-B-2530 ('s-Gravenmoer)
- 5109 RB
oryOJb OM9T poH3UKVlFUpgrade naar KadastraleKaart Pro
Verkoopprijs opvragen
Bekijk op Street View
Download DWG/DXF/Excel
gnRz4IPcqGunBILBUpgrade naar KadastraleKaart Pro
1 InY k vUpgrade naar KadastraleKaart Pro
fYPIdEP3cPerVzTQmaQKRUpgrade naar KadastraleKaart Pro
nsg iUe8WiyrvaiwUpgrade naar KadastraleKaart Pro
jULajC pwUpgrade naar KadastraleKaart Pro
kUOv2 wp16 lO VMXPoTEUpgrade naar KadastraleKaart Pro
mRnnnw9 c1bqxUpgrade naar KadastraleKaart Pro
k hq Hm mnbk GLh3ZUpgrade naar KadastraleKaart Pro
u5KNTe y X9aVOUpgrade naar KadastraleKaart Pro
pb DjXzuDt3MSuUpgrade naar KadastraleKaart Pro
22/12/2006

Percelen
Gebruik de zoekbalk of klik op een perceel om informatie over het perceel te bekijken.