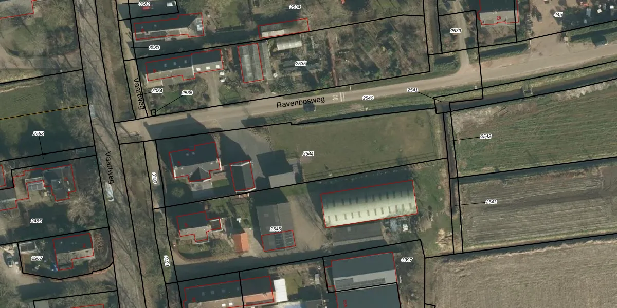
Perceel: GVM00-B-2544
KadastraleKaart.com kan meer dan je denktOntdek meer ›
Filter op bestemming 50+ datasets Eigendomsdata in één klik Percelen CRM
1.800 m2 - 226 m
Eigenaar opvragen
GVM00-B-2544 ('s-Gravenmoer)
- 5109 RB
vkUkDv2 A a6LDIh2br3QNOx4SUpgrade naar KadastraleKaart Pro
Verkoopprijs opvragen
Bekijk op Street View
Download DWG/DXF/Excel
kRTc5st Q0MsXS3 cQuxNUpgrade naar KadastraleKaart Pro
kZec9NZC9 Ncj57CtUpgrade naar KadastraleKaart Pro
N9D8c75ppxs 176GcCTJdx9Upgrade naar KadastraleKaart Pro
QvgZeyQ37EJtJ9CUpgrade naar KadastraleKaart Pro
xzVl0yVpa rTi Xdw3XNYfUpgrade naar KadastraleKaart Pro
RaKD3IspKqruJ1IUpgrade naar KadastraleKaart Pro
T08DR BV1OBDS9Upgrade naar KadastraleKaart Pro
7jmKxE4egG3RzUpgrade naar KadastraleKaart Pro
5wm5s VYpt kUpgrade naar KadastraleKaart Pro
V TqF na U4jzIUpgrade naar KadastraleKaart Pro
14/06/2010

Percelen
Gebruik de zoekbalk of klik op een perceel om informatie over het perceel te bekijken.