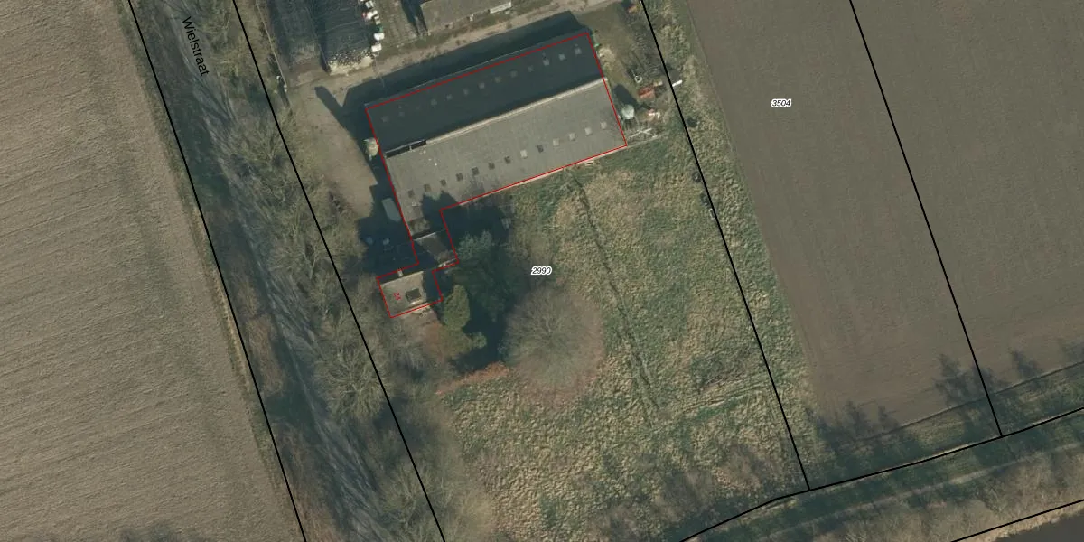
Perceel: GVM00-B-2990
KadastraleKaart.com kan meer dan je denktOntdek meer ›
Filter op bestemming 50+ datasets Eigendomsdata in één klik Percelen CRM
9.875 m2 - 422 m
Eigenaar opvragen
GVM00-B-2990 ('s-Gravenmoer)
- 5109 TK
YMlIE6zJ0kvid2uWXFXm0L9FXKUpgrade naar KadastraleKaart Pro
Bekijk op Street View
Download DWG/DXF/Excel
1uefT0SMgKC9Upgrade naar KadastraleKaart Pro
2H5eQia isUpgrade naar KadastraleKaart Pro
lNn9V X1PBn Z Upgrade naar KadastraleKaart Pro
F 5sLJgI3 qWT51grdxpUpgrade naar KadastraleKaart Pro
V2G9gq8GjYJG04NXuhUpgrade naar KadastraleKaart Pro
7 px8hG8M74mHtWZ2E09Upgrade naar KadastraleKaart Pro
nLs23tcO7rpEUpgrade naar KadastraleKaart Pro
P3XN2fD7eQ JHtS2FJWUpgrade naar KadastraleKaart Pro
BLX9Blt7UMezFQZcsUpgrade naar KadastraleKaart Pro
vN8C3I 9LY5q0KJiwFfUpgrade naar KadastraleKaart Pro
02/04/2007

Percelen
Gebruik de zoekbalk of klik op een perceel om informatie over het perceel te bekijken.