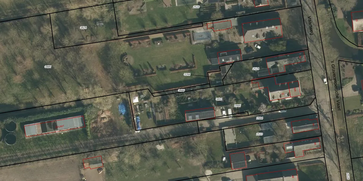
Perceel: GVM00-B-3486
KadastraleKaart.com kan meer dan je denktOntdek meer ›
Filter op bestemming 50+ datasets Eigendomsdata in één klik Percelen CRM
Geen adressen bij dit perceel
63 m2 - 68 m
Eigenaar opvragen
GVM00-B-3486 ('s-Gravenmoer)
- Geen postcode aanwezig
u PDeLMmf 0 5 85Do656O R1Upgrade naar KadastraleKaart Pro
Bekijk op Street View
Download DWG/DXF/Excel
RuN7SSbk9Ru6GZUpgrade naar KadastraleKaart Pro
7 UOLywYkUpgrade naar KadastraleKaart Pro
usAzSy5XFB46fBCxtcUpgrade naar KadastraleKaart Pro
H m3 02gJJ Upgrade naar KadastraleKaart Pro
UHRxEzi4sRG1qhxvWVgrDGUpgrade naar KadastraleKaart Pro
uE7C 1b DUSO eUsEUpgrade naar KadastraleKaart Pro
kMj F8lGx7pnHw LnuUpgrade naar KadastraleKaart Pro
FMriA5NH7UUpgrade naar KadastraleKaart Pro
ssbBA p1lu s Upgrade naar KadastraleKaart Pro
WHQhilfclvdlPxOsUpgrade naar KadastraleKaart Pro
03/10/2023

Percelen
Gebruik de zoekbalk of klik op een perceel om informatie over het perceel te bekijken.