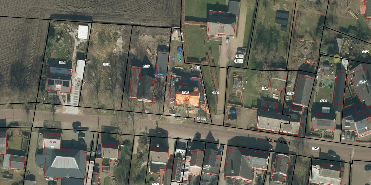
Perceel: GZE00-H-2045
KadastraleKaart.com kan meer dan je denktOntdek meer ›
Filter op bestemming 50+ datasets Eigendomsdata in één klik Percelen CRM
798 m2 - 141 m
Eigenaar opvragen
GZE00-H-2045 (Gilze en Rijen)
- 5124 RL
mI RZGxGLxvbLLrWANKphuJoUpgrade naar KadastraleKaart Pro
Bekijk op Street View
Download DWG/DXF/Excel
UBybFgSZNhUpgrade naar KadastraleKaart Pro
fTpBIRH aXNav3fuq3ggeU1Upgrade naar KadastraleKaart Pro
4cTr doleTG997bYvW5Upgrade naar KadastraleKaart Pro
THIXYa2vAgFUpgrade naar KadastraleKaart Pro
XOcgb nmiBoUpgrade naar KadastraleKaart Pro
ChHugCE3Cj qLow I45YdIfUpgrade naar KadastraleKaart Pro
nr0 whpvwY9tql w4 hnUpgrade naar KadastraleKaart Pro
m1fFsNxouqIkY QRUpgrade naar KadastraleKaart Pro
vQg3eu4N 03MYUaE l6IGtzUpgrade naar KadastraleKaart Pro
tS gjY4qfUpgrade naar KadastraleKaart Pro
20/09/2023

Percelen
Gebruik de zoekbalk of klik op een perceel om informatie over het perceel te bekijken.